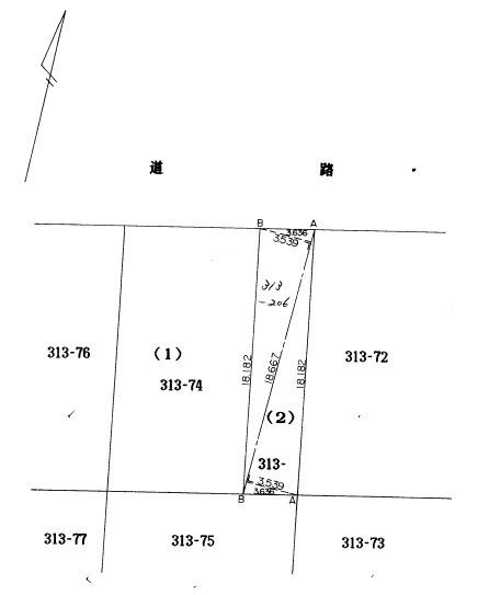
ここに注目!■地番:313番地74 ●販売価格520万円⇒490万円に値下げしました。 ●住宅用地に最適! ●閑静な住宅地! 〇現状渡し 〇プレハブ倉庫付き(7.55坪) 〇境界石非明示 〇契約不適合責任免責 ●接道、幅員 ・道路幅員 5.35m(不確定道路 9.98~15.2m) ・道路接道 約9.09m
| 価格 |
490万円
坪単価:約9.8万円/坪
|
|---|---|
| 土地面積 | 165.34m² (50.01坪)(公簿) |
| 住所 | 北海道札幌市手稲区富丘六条4丁目6番33号 |
| 交通 | 稲積公園駅(徒歩20分)|JR北海道バス 「富丘」停(徒歩13分)|中央バス 「富丘1-4」停(徒歩15分)|手稲駅(徒歩27分)道順を見る |
| 現況 | 建物付き |
| 建築条件 | なし |
| 用途地域 |
|
販売状況、見学、詳細を知りたい方はこちら!
お電話の際は「連合隊の物件」とお伝えください。
情報掲載期限:あと10日(更新日 2026/4/27)
- 物件写真・概要
- 周辺地図
-
販売状況、見学、詳細を知りたい方はこちら!
おすすめポイント
- 建築条件なし
交通色がついているアイコンをクリックすると、本物件までの道順を見ることができます。
- 稲積公園駅JR函館本線徒歩20分(約1.6km)
- 手稲駅JR函館本線徒歩27分(約2.2km)
- JR北海道バス 「富丘」停徒歩13分
- 中央バス 「富丘1-4」停徒歩15分
物件概要
販売区画数/
総区画数1区画/全1区画 接道状況 一方 - 北西側幅5.35mの公道に9.09m接道 位置指定:無
都市計画区域 市街化区域 私道負担 なし 地目/地勢 宅地 地勢:平坦 国土法届出 土地権利 所有権 用途地域 - 第1種低層住居専用地域(建ぺい率:40% / 容積率:80%)
引渡し 相談 現況 建物付き 取引態様 仲介 物件No 2 仲介手数料概算 22万7,700円(金額は概算です。正確な金額は不動産会社へお問合せ下さい) 設備・特徴 - 古家付
- 閑静な住宅街
- 高台に立地
備考 景観計画区域、北側斜線高度地区、法22条区域、戸建住環境保全地区、日影規制、土砂災害警戒区域、急傾斜地の崩壊(札幌手稲富丘4)、居住系市街地、宅地造成等工事規制区域 学区色がついているアイコンをクリックすると、本物件までの道順を見ることができます。
主な周辺施設色がついているアイコンをクリックすると、本物件までの道順を見ることができます。
-

この物件の担当者 尾形浩史(おがたひろし)
よろしくお願いいたします。
※連合隊は物件情報の精度向上に努めています:「物件情報に誤りがある」「成約済みである」などお気付きの点がございましたらこちらよりご連絡ください。
写真枚数:10枚
管理会社が直接募集しております!
弊社は賃貸管理をメインに行っている街の管理会社です。 募集物件は全て弊社管理の物件となりますので、ご契約後も安心してお住まいいただけます。 弊社管理の物件以外にもご紹介可能ですので、遠慮なくご相談ください。