亀田港町売土地
ここに注目!函館市亀田港町に、新しい暮らしの舞台となる広々とした売土地が登場しました!約83.5坪(276.17m²)ものゆとりある「整形地」で、建築プランが立てやすい「平坦な土地」です。 古家付きですが、お客様のご要望に応じて「更地引渡し」が可能ですのでお気軽にお問い合わせください。上下水道・電気といった生活インフラも整備済みで、安心してお住まいいただけます。 物件の周辺は「閑静な住宅街」。穏やかな住環境で、お子様とのびのび暮らしたい方にもおすすめです。 「徒歩4分にコンビニ」、さらに「徒歩6分でスーパー」、中学校も徒歩7分圏内と、日々の買い物や子育てにも便利な施設が身近に揃っています。 第1種住居地域のため、将来にわたって良好な住環境が維持されることも魅力の一つ。 この広さと利便性。理想の住まいを建てるチャンスをぜひ掴んでください!詳細はお気軽にお問い合わせください。
この物件は、仲介手数料がかかりません。
この物件の売主は、情報を掲載している不動産会社です。仲介物件ではないため、仲介手数料は発生しません。
| 価格 |
800万円
坪単価:約9.6万円/坪
|
|---|---|
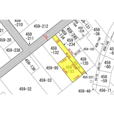
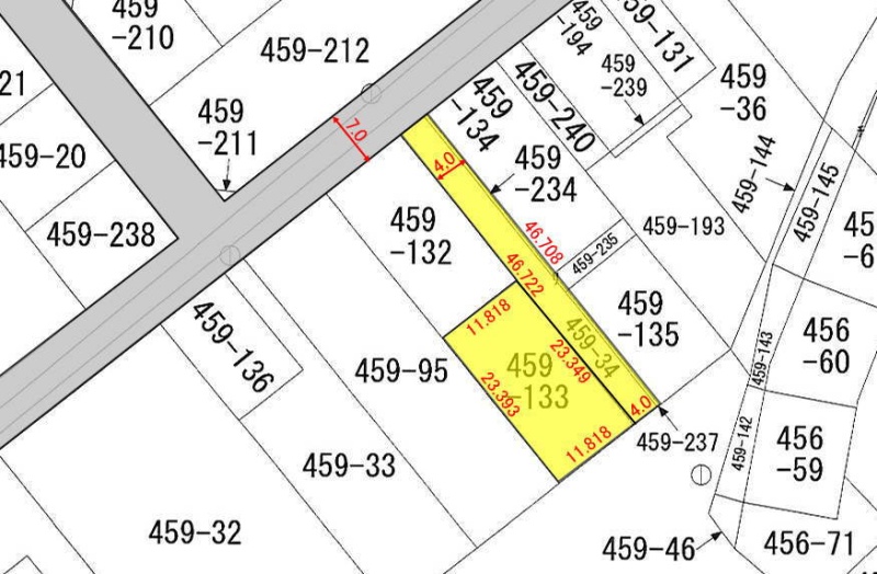
| 土地面積 | 276.17m² (83.54坪)(公簿) |
| 住所 | 北海道函館市亀田港町58-11 |
| 交通 | 七重浜駅(徒歩19分)道順を見る |
| 現況 | 建物付き(更地渡し可能) |
| 建築条件 | なし |
| 用途地域 |
|
【WEB面談可】
販売状況、見学、詳細を知りたい方はこちら!
お電話の際は「連合隊の物件」とお伝えください。
情報掲載期限:あと29日(更新日 2025/12/27)
- 物件写真・概要
- 周辺地図
-
【WEB面談可】
販売状況、見学、詳細を知りたい方はこちら!おすすめポイント
- 建築条件なし
- 上下水道
- 電気
- 近くて便利!徒歩5分以内にある施設
- 4分
4分- 周辺施設を地図で確認
交通色がついているアイコンをクリックすると、本物件までの道順を見ることができます。
物件概要
販売区画数/
総区画数-/- 接道状況 一方 - 北東側幅4.00mの私道に23.35m接道
都市計画区域 市街化区域 私道負担 なし 地目/地勢 宅地 地勢:平坦 国土法届出 不要 土地権利 所有権 用途地域 - 第1種住居地域(建ぺい率:60% / 容積率:200%)
引渡し 相談 現況 建物付き(更地渡し可能) 取引態様 売主 物件No 仲介手数料概算 取引態様が売主なので仲介手数料は不要です 設備・特徴 - 整形地
- 閑静な住宅街
- 上下水道
- 電気
- 古家付
備考 学区色がついているアイコンをクリックすると、本物件までの道順を見ることができます。
主な周辺施設色がついているアイコンをクリックすると、本物件までの道順を見ることができます。
-
ホームページはこちら
北海道知事 渡島(5) 第1046号
ブロードビュー不動産 【WEB面談可】- 加入団体
- (公社)北海道宅地建物取引業協会、(一社)全国賃貸不動産管理業協会
- 保証協会
- (公社)全国宅地建物取引業保証協会
- 公正取引協議会
- (一社)北海道不動産公正取引協議会
※連合隊は物件情報の精度向上に努めています:「物件情報に誤りがある」「成約済みである」などお気付きの点がございましたらこちらよりご連絡ください。
写真枚数:4枚
お客様の様々なニーズに対応いたします。
「売買」「賃貸」「管理」「空家」「相続」等、お気軽にご相談ください。