湯川3丁目土地①
ここに注目!【フレスポ戸倉すぐそば】約154坪の広々敷地!平屋も可能!春からの新生活におすすめ🌸 函館市湯川町3丁目、フレスポ戸倉が目の前の好立地にある売土地です✨ 広々とした約154坪のゆとりある敷地は、平屋住宅や二世帯住宅、広いお庭付きの住まいなど、さまざまな建築プランに対応できる魅力的な広さです🏡🌿 現況は更地のため、解体費用などの負担がなく、スムーズに建築計画を進めていただけます。 徒歩圏内にはフレスポ戸倉があり、スーパーやドラッグストアなど毎日のお買い物にも便利な環境です🛒 交通アクセスも、函館バス「戸倉町」停まで徒歩4分、函館市電「湯の川」電停へ徒歩11分と、通勤・通学にも便利です🚃 また、函館市立湯川小学校も近く、子育て世代にも安心の住環境です👨👩👧👦 春からの新しい暮らしを、この便利な立地で始めてみませんか🌸 ぜひ一度、現地をご覧ください。
| 価格 |
927万円
坪単価:約6.0万円/坪
|
|---|---|
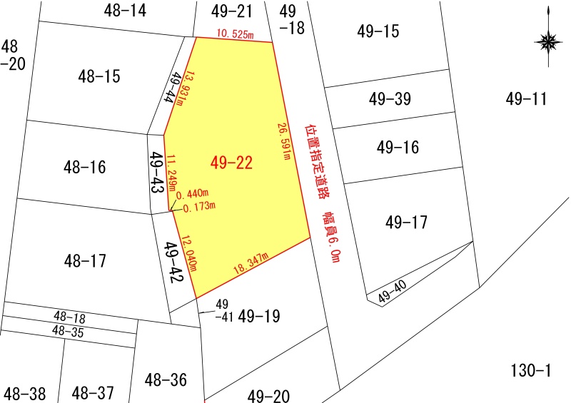
| 土地面積 | 510.7m² (154.48坪)(公簿) |
| 住所 | 北海道函館市湯川町3丁目48番-(地番49番22) |
| 交通 | 函館バス 「戸倉町」停(徒歩4分)|湯の川駅(徒歩11分)道順を見る |
| 現況 | 更地 |
| 建築条件 | なし |
| 用途地域 |
|
販売状況、見学、詳細を知りたい方はこちら!
お電話の際は「連合隊の物件」とお伝えください。
情報掲載期限:あと28日(更新日 2026/3/17)
- 物件写真・概要
- 周辺地図
-
販売状況、見学、詳細を知りたい方はこちら!
おすすめポイント
- 更地
- 建築条件なし
- 上下水道
- 都市ガス
- 近くて便利!徒歩5分以内にある施設
- 4分
4分- 周辺施設を地図で確認
交通色がついているアイコンをクリックすると、本物件までの道順を見ることができます。
- 湯の川駅函館市電5系統、函館市電2系統徒歩11分(約826m)
- 函館バス 「戸倉町」停徒歩4分
物件概要
販売区画数/
総区画数1区画/全1区画 接道状況 一方 - 東側幅6.00mの私道に26.50m接道 位置指定:有
都市計画区域 市街化区域 私道負担 なし 地目/地勢 宅地 地勢:平坦 国土法届出 不要 土地権利 所有権 用途地域 - 第1種住居地域(建ぺい率:60% / 容積率:200%)
引渡し 相談 現況 更地 取引態様 仲介 物件No 26HA-11 仲介手数料概算 37万1,910円(金額は概算です。正確な金額は不動産会社へお問合せ下さい) 設備・特徴 - 都市ガス
- 上下水道
備考 ■前面道路水道管は個人管となっています。 ■前面道路に都市ガス配管はありますが、敷地内への引込はありません。 学区色がついているアイコンをクリックすると、本物件までの道順を見ることができます。
主な周辺施設色がついているアイコンをクリックすると、本物件までの道順を見ることができます。
-
ホームページはこちら
北海道知事 渡島(11) 第595号
(株)緑地- 加入団体
- (公社)北海道宅地建物取引業協会、(公財)日本賃貸住宅管理協会、全国賃貸管理ビジネス協会
- 保証協会
- (公社)全国宅地建物取引業保証協会
- 公正取引協議会
- (一社)北海道不動産公正取引協議会
※連合隊は物件情報の精度向上に努めています:「物件情報に誤りがある」「成約済みである」などお気付きの点がございましたらこちらよりご連絡ください。
写真枚数:7枚
創業50年。目指すは100年!信頼と実績を武器に、あなたの不動産との出会いを力強く応援いたします!