平和2丁目土地
ここに注目!★標茶町平和2丁目土地★駅近くの住宅街に広々とした土地の登場です!!
| 価格 |
120万円
坪単価:約1.3万円/坪
|
|---|---|
| 土地面積 | 308.3m² (93.26坪)(公簿) |
| 住所 | 北海道川上郡標茶町平和2-27 |
| 交通 | 標茶駅(徒歩3分) |
| 現況 | 更地 |
| 建築条件 | なし |
| 用途地域 |
|
販売状況、見学、詳細を知りたい方はこちら!
お電話の際は「連合隊の物件」とお伝えください。
情報掲載期限:あと19日(更新日 2025/12/11)
- 物件写真・概要
- 周辺地図
-
販売状況、見学、詳細を知りたい方はこちら!
おすすめポイント
- 更地
- 建築条件なし
- 角地
- 南道路
- 上下水道
- 電気
- 駅徒歩3分以内
交通色がついているアイコンをクリックすると、本物件までの道順を見ることができます。
物件概要
販売区画数/
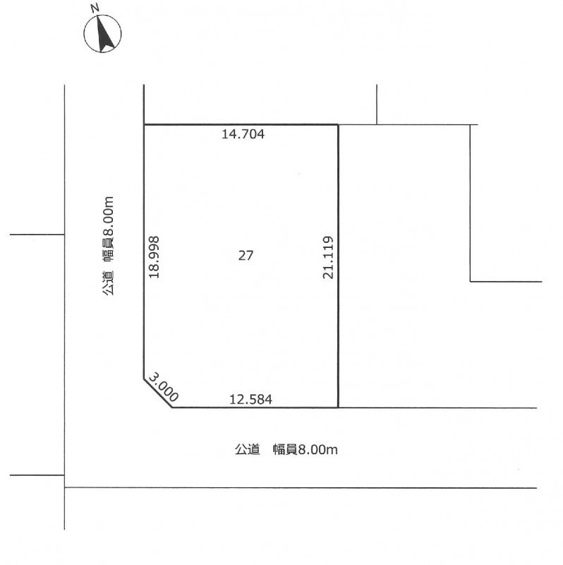
総区画数1区画/- 接道状況 角地 - 西側幅8.00mの公道に18.99m接道
- 南側幅8.00mの公道に12.58m接道
都市計画区域 非線引区域 私道負担 なし 地目/地勢 宅地 地勢:平坦 国土法届出 不要 土地権利 所有権 用途地域 - 第1種低層住居専用地域(建ぺい率:60% / 容積率:200%)
引渡し 相談 現況 更地 取引態様 仲介 物件No 仲介手数料概算 33万円(金額は概算です。正確な金額は不動産会社へお問合せ下さい) 設備・特徴 - 角地
- LPガス
- 田舎暮らし向き
- 上下水道
- 電気
備考 学区色がついているアイコンをクリックすると、本物件までの道順を見ることができます。
主な周辺施設色がついているアイコンをクリックすると、本物件までの道順を見ることができます。
-
ホームページはこちら北海道知事 釧路(4) 第494号
(株)サトケン〒088-2301
TEL:015-485-2218
TEL:0154-64-7251
FAX:015-485-2809
営業時間:9:00~18:00
定休日:毎週 日曜・祝日
- 加入団体
- (公社)北海道宅地建物取引業協会
- 保証協会
- (公社)全国宅地建物取引業保証協会
- 公正取引協議会
- (一社)北海道不動産公正取引協議会
※連合隊は物件情報の精度向上に努めています:「物件情報に誤りがある」「成約済みである」などお気付きの点がございましたらこちらよりご連絡ください。
写真枚数:2枚