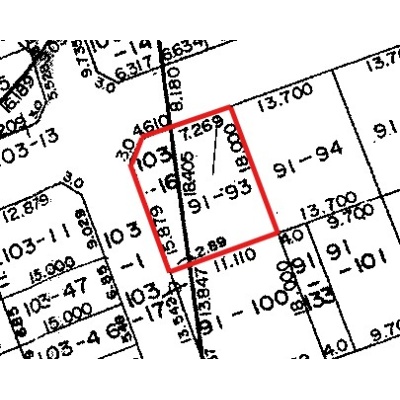
釧路市益浦4丁目91番93土地
ここに注目!釧路市益浦4丁目の約75坪(249.0㎡)の高台の土地です。 北側・西側それぞれ8mの公道に接道する二方路、150万円という価格も魅力です。
| 価格 |
150万円
坪単価:約2.0万円/坪
|
|---|---|
| 土地面積 | 249m² (75.32坪)(公簿) |
| 住所 | 北海道釧路市益浦4-91-93 |
| 交通 | |
| 現況 | その他(現況で引渡しとなります。) |
| 建築条件 | なし |
| 用途地域 |
|
販売状況、見学、詳細を知りたい方はこちら!
お電話の際は「連合隊の物件」とお伝えください。
情報掲載期限:あと20日(更新日 2025/12/12)
- 物件写真・概要
- 周辺地図
-
販売状況、見学、詳細を知りたい方はこちら!
おすすめポイント
- 建築条件なし
- 角地
- 都市ガス
物件概要
販売区画数/
総区画数-/- 接道状況 二方(除角地) - 北側幅8.00mの公道に11.80m接道
- 西側幅8.00mの公道に15.80m接道
都市計画区域 市街化区域 私道負担 なし 地目/地勢 原野 地勢:高台 国土法届出 不要 土地権利 所有権 用途地域 - 第1種低層住居専用地域(建ぺい率:50% / 容積率:80%)
引渡し 相談 現況 その他(現況で引渡しとなります。) 取引態様 仲介 物件No 仲介手数料概算 33万円(金額は概算です。正確な金額は不動産会社へお問合せ下さい) 設備・特徴 - 角地
- 都市ガス
備考 -
※連合隊は物件情報の精度向上に努めています:「物件情報に誤りがある」「成約済みである」などお気付きの点がございましたらこちらよりご連絡ください。
写真枚数:5枚