釧路市鶴丘九線 土地
ここに注目!●原野土地 現況有姿 ●境界非明示、測量実施予定はありません ●市街化調整区域のため住宅の建築はできません ●売却相談も随時募集しております。 ●住宅ローン、資金計画等ご相談ください。専門のスタッフがご提案させていただきます。 ●手間と時間のかかる銀行手続きも代行しております。お任せください。
| 価格 |
200万円
坪単価:約9,058円/坪
|
|---|---|
| 土地面積 | 730m² (220.82坪)(公簿) |
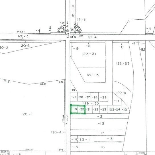
| 住所 | 北海道釧路市鶴丘9線122-19,20 |
| 交通 | 阿寒バス「鶴丘9線」停 (徒歩3分) |
| 現況 | 更地 |
| 建築条件 | なし |
| 用途地域 |
|
販売状況、見学、詳細を知りたい方はこちら!
お電話の際は「連合隊の物件」とお伝えください。
情報掲載期限:あと17日(更新日 2025/12/5)
- 物件写真・概要
- 周辺地図
-
販売状況、見学、詳細を知りたい方はこちら!
おすすめポイント
- 即引渡し可
- 更地
- 建築条件なし
交通
- 阿寒バス「鶴丘9線」停 徒歩3分(約190m)
物件概要
販売区画数/
総区画数-/- 接道状況 一方 - 北西側幅13.00mの公道に20.09m接道
都市計画区域 市街化調整区域 私道負担 地目/地勢 雑種地 地勢:平坦 国土法届出 土地権利 所有権 用途地域 - 無指定()
引渡し 即時 現況 更地 取引態様 仲介 物件No 仲介手数料概算 33万円(金額は概算です。正確な金額は不動産会社へお問合せ下さい) 設備・特徴 備考 学区色がついているアイコンをクリックすると、本物件までの道順を見ることができます。
主な周辺施設色がついているアイコンをクリックすると、本物件までの道順を見ることができます。
-
ホームページはこちら
北海道知事 釧路(1) 第549号
ハウスドゥ!釧路中央店 (株)アースハウス- 加入団体
- (公社)全日本不動産協会
- 保証協会
- (公社)不動産保証協会
- 公正取引協議会
- (一社)北海道不動産公正取引協議会
※連合隊は物件情報の精度向上に努めています:「物件情報に誤りがある」「成約済みである」などお気付きの点がございましたらこちらよりご連絡ください。
写真枚数:4枚
不動産の事なら「ハウスドゥ!」にお任せください!!
道東エリアの不動産の事なら「ハウスドゥ!釧路中央店」にお任せください! 購入・売却はもちろん、賃貸や管理も取扱いしております。 お気軽にお問合わせください(^_^)/