星が浦大通1丁目売土地(更地渡し)
ここに注目!釧路市星が浦大通に、新しい暮らしの夢を育むのにぴったりの売土地が登場しました!広々とした176㎡(約53坪)の敷地は、北と西の二方向が公道に接する開放的な角地。平坦な整形地ですので、理想のマイホームを建てるプランも立てやすいのが嬉しいポイントです。 現在古アパートがございますが、ご安心ください。解体後、綺麗な更地としてお引き渡しいたしますので、すぐに新生活の準備を始められますよ。都市ガス、上下水道、電気といった生活インフラも整っており、スムーズな家づくりをサポートします。 周辺には、徒歩5分圏内にスーパーやコンビニ、ドラッグストア、ホームセンターが充実しており、毎日のお買い物や急な用事にも困りません。国道38号にも近く、お車でのアクセスも良好で、日々の生活がとても便利になることでしょう。 ご予算を抑えたいお客様にも魅力的な290万円という価格で、理想の住まいを手に入れるチャンスです。ぜひ一度、現地でこの土地の可能性を感じてみませんか?お気軽にお問い合わせください。
| 価格 |
290万円
坪単価:約5.4万円/坪
|
|---|---|
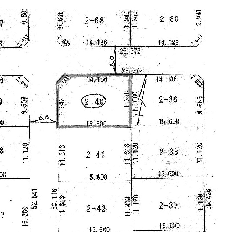
| 土地面積 | 176m² (53.24坪)(公簿) |
| 住所 | 北海道釧路市星が浦大通1-2-40 |
| 交通 | くしろバス「星が浦大通1」停 (徒歩5分) |
| 現況 | 建物付き(更地渡し可能) |
| 建築条件 | なし |
| 用途地域 |
|
販売状況、見学、詳細を知りたい方はこちら!
お電話の際は「連合隊の物件」とお伝えください。
情報掲載期限:あと23日(更新日 2026/2/17)
- 物件写真・概要
- 周辺地図
-
販売状況、見学、詳細を知りたい方はこちら!
おすすめポイント
- 建築条件なし
- 角地
- 上下水道
- 電気
- 都市ガス
- 近くて便利!徒歩5分以内にある施設
- 4分
4分- 周辺施設を地図で確認
交通
- くしろバス「星が浦大通1」停 徒歩5分
物件概要
販売区画数/
総区画数-/- 接道状況 角地 - 北側幅6.00mの公道に14.18m接道
- 西側幅6.00mの公道に9.94m接道
都市計画区域 市街化区域 私道負担 なし 地目/地勢 雑種地 地勢:平坦 国土法届出 土地権利 所有権 用途地域 - 準工業地域(建ぺい率:60% / 容積率:200%)
引渡し 相談 現況 建物付き(更地渡し可能) 取引態様 仲介 物件No 仲介手数料概算 33万円(金額は概算です。正確な金額は不動産会社へお問合せ下さい) 設備・特徴 - 角地
- 整形地
- 閑静な住宅街
- 都市ガス
- 上下水道
- 電気
- 古家付
備考 現在、古アパートがありますが、解体更地でのお引渡しです。 お問い合わせは09082743510 佐藤までお気軽にお問い合わせください。 学区色がついているアイコンをクリックすると、本物件までの道順を見ることができます。
主な周辺施設色がついているアイコンをクリックすると、本物件までの道順を見ることができます。
-
ホームページはこちら北海道知事 釧路(14) 第153号
(有)佐藤産業〒084-0907
TEL:0154-51-5636
TEL:090-8274-3510
FAX:0154-52-5155
営業時間:9:00~18:00
定休日:毎週 日曜
- 加入団体
- (公社)北海道宅地建物取引業協会
- 保証協会
- (公社)全国宅地建物取引業保証協会
- 公正取引協議会
- (一社)北海道不動産公正取引協議会
※連合隊は物件情報の精度向上に努めています:「物件情報に誤りがある」「成約済みである」などお気付きの点がございましたらこちらよりご連絡ください。
写真枚数:4枚
釧路市・釧路町近郊の不動産のご相談は弊社へお任せください!
地場に密着した弊社スタッフが皆様のお悩みを解決! 不動産の売却・購入・賃貸・管理は勿論、それらに関連することでも お気軽にご相談ください!連絡お待ちしております。