大楽毛南1丁目 土地
ここに注目!大楽毛南1丁目に、お客様の新しい夢を育む素敵な土地が登場しました!広々とした215㎡の敷地は、理想のマイホームを叶えるのにぴったりです。80万円という魅力的な価格で、夢の実現を応援します。 この土地は「角地」で開放感があり、「整形地」なので設計の自由度も高く、思い描いた通りの住まいをデザインしていただけます。「田舎暮らし向き」の穏やかな環境で、家庭菜園を楽しんだり、お子様がのびのびと遊べる庭を造ったりと、ゆとりある生活が待っています。 JR根室本線「新大楽毛」駅へは徒歩8分、車なら3分とアクセスも良好。コンビニや中学校へも近く、お買い物や子育てにも便利な立地です。ぜひこの土地で、あなただけの理想の暮らしを始めてみませんか?
| 価格 |
80万円
坪単価:約1.2万円/坪
|
|---|---|
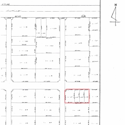
| 土地面積 | 215m² (65.03坪)(公簿) |
| 住所 | 北海道釧路市大楽毛南1-1 |
| 交通 | 新大楽毛駅(車で3分)|新大楽毛駅(徒歩8分)道順を見る |
| 現況 | 更地 |
| 建築条件 | なし |
| 用途地域 |
|
販売状況、見学、詳細を知りたい方はこちら!
お電話の際は「連合隊の物件」とお伝えください。
情報掲載期限:あと28日(更新日 2026/5/21)
- 物件写真・概要
- 周辺地図
-
販売状況、見学、詳細を知りたい方はこちら!
おすすめポイント
- 即引渡し可
- 更地
- 建築条件なし
- 角地
交通色がついているアイコンをクリックすると、本物件までの道順を見ることができます。
物件概要
販売区画数/
総区画数-/- 接道状況 角地 - 北側幅6.00mの公道に20.00m接道
- 西側幅4.00mの公道に10.90m接道
都市計画区域 市街化区域 私道負担 地目/地勢 国土法届出 土地権利 所有権 用途地域 - ―(建ぺい率:60% / 容積率:200%)
引渡し 即時 現況 更地 取引態様 仲介 物件No 仲介手数料概算 33万円(金額は概算です。正確な金額は不動産会社へお問合せ下さい) 設備・特徴 - 角地
- 整形地
- 田舎暮らし向き
備考 担当者直通 090-2691-7138 学区色がついているアイコンをクリックすると、本物件までの道順を見ることができます。
主な周辺施設色がついているアイコンをクリックすると、本物件までの道順を見ることができます。
-
北海道知事 釧路(6) 第435号
(有)三沢建設 昭和店
※連合隊は物件情報の精度向上に努めています:「物件情報に誤りがある」「成約済みである」などお気付きの点がございましたらこちらよりご連絡ください。
写真枚数:5枚