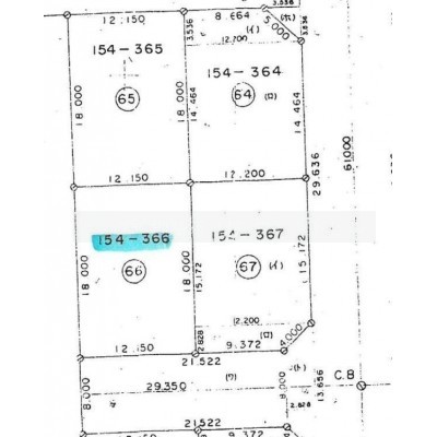
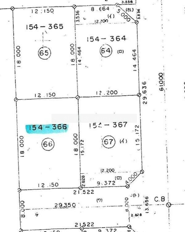
大楽毛154-366売地
ここに注目!清閑な住宅地!近くから海が見えます!
| 価格 |
60万円
坪単価:約9,101円/坪
|
|---|---|
| 土地面積 | 217.98m² (65.93坪)(公簿) |
| 住所 | 北海道釧路市大楽毛154-366 |
| 交通 | 新大楽毛駅(徒歩9分) |
| 現況 | 更地 |
| 建築条件 | |
| 用途地域 |
|
【WEB面談可】
販売状況、見学、詳細を知りたい方はこちら!
お電話の際は「連合隊の物件」とお伝えください。
情報掲載期限:あと28日(更新日 2025/12/17)
- 物件写真・概要
- 周辺地図
-
【WEB面談可】
販売状況、見学、詳細を知りたい方はこちら!おすすめポイント
- 更地
- 南道路
交通色がついているアイコンをクリックすると、本物件までの道順を見ることができます。
物件概要
販売区画数/
総区画数-/全0区画 接道状況 一方 - 南側幅8.00mの公道に12.20m接道
都市計画区域 市街化区域 私道負担 なし 地目/地勢 雑種地 地勢:平坦 国土法届出 不要 土地権利 所有権 用途地域 - 工業地域(建ぺい率:60% / 容積率:200%)
引渡し 相談 現況 更地 取引態様 仲介 物件No 1528 仲介手数料概算 33万円(金額は概算です。正確な金額は不動産会社へお問合せ下さい) 設備・特徴 備考 地勢:平坦 前面道路は開発行為で造られた道路(法42条第1項第2号道路)。現状渡し。 学区色がついているアイコンをクリックすると、本物件までの道順を見ることができます。
主な周辺施設色がついているアイコンをクリックすると、本物件までの道順を見ることができます。
-
ホームページはこちら
北海道知事 釧路(4) 第506号
ビッグFC釧路店 (株)ウインドヒル 【WEB面談可】- 加入団体
- (公社)全日本不動産協会、(公財)日本賃貸住宅管理協会、全国賃貸管理ビジネス協会
- 保証協会
- (公社)不動産保証協会
- 公正取引協議会
- (一社)北海道不動産公正取引協議会
※連合隊は物件情報の精度向上に努めています:「物件情報に誤りがある」「成約済みである」などお気付きの点がございましたらこちらよりご連絡ください。
写真枚数:4枚
釧路市立大楽毛小学校まで1930m
釧路市立大楽毛中学校まで1125m














釧路市近郊の住まい探しなら不動産のビッグ釧路店にお任せください!
☆プライバシーに配慮したブースでお部屋探しをお手伝いさせて頂きます☆ 新型コロナ対策として非接触型体温計やアクリル板の設置、手指の消毒液をご用意して皆様のお越しをお待ちしております