八幡町売土地
ここに注目!※価格改定しました。 ときわ通沿いの売土地です。交通・買い物等、利便性の高い場所です。
| 価格 |
1,490万円
坪単価:約14.8万円/坪
|
|---|---|
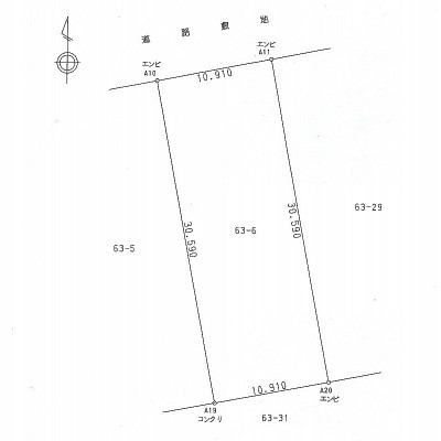
| 土地面積 | 333.71m² (100.94坪)(公簿) |
| 住所 | 北海道函館市八幡町63番地6 |
| 交通 | |
| 現況 | 更地 |
| 建築条件 | なし |
| 用途地域 |
|
販売状況、見学、詳細を知りたい方はこちら!
お電話の際は「連合隊の物件」とお伝えください。
情報掲載期限:あと5日(更新日 2025/11/20)
- 物件写真・概要
- 周辺地図
-
販売状況、見学、詳細を知りたい方はこちら!
おすすめポイント
- 即引渡し可
- 更地
- 建築条件なし
- 上下水道
- 都市ガス
- 近くて便利!徒歩5分以内にある施設
- 5分
5分- 5分
5分- 4分
4分- 周辺施設を地図で確認
物件概要
販売区画数/
総区画数-/- 接道状況 一方 - 北側幅15.00mの公道に10.90m接道
都市計画区域 市街化区域 私道負担 地目/地勢 宅地 地勢:平坦 国土法届出 不要 土地権利 所有権 用途地域 - 第1種住居地域(建ぺい率:60% / 容積率:200%)
引渡し 即時 現況 更地 取引態様 仲介 物件No 仲介手数料概算 55万7,700円(金額は概算です。正確な金額は不動産会社へお問合せ下さい) 設備・特徴 - 整形地
- 都市ガス
- 上下水道
備考 学区色がついているアイコンをクリックすると、本物件までの道順を見ることができます。
主な周辺施設色がついているアイコンをクリックすると、本物件までの道順を見ることができます。
-
※連合隊は物件情報の精度向上に努めています:「物件情報に誤りがある」「成約済みである」などお気付きの点がございましたらこちらよりご連絡ください。
写真枚数:8枚
土曜・日曜・祝日休業です。但し、事前にご連絡いただければ対応いたします。