春光台4条8丁目戸建て
ここに注目!LDK23.3帖のゆったりリビングとデザインにもこだわった室内、5LDKで部屋数もあります。 修繕は必要になりますが素敵なお家になると思います。 是非内覧してください!
| 価格 |
1,300万円
|
|---|---|
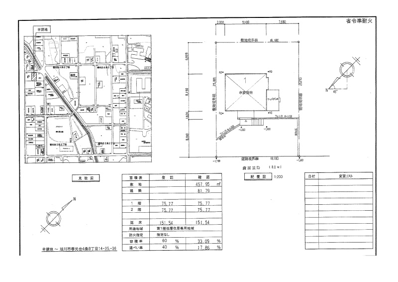
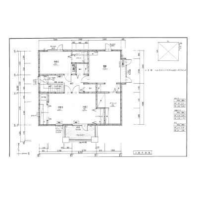
| 建物面積 | 151.54m² (45.84坪) |
| 土地面積 | 457.95m² (138.52坪)(公簿) |
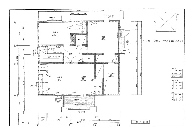
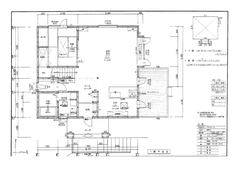
| 間取り | 5LDK1階:LD17.3帖 和室6帖 / 2階:洋室5.7帖 洋室5.7帖 洋室5.8帖 洋室9.6帖 |
| 住所 | 北海道旭川市春光台4条8-14-35 |
| 交通 | 永山駅(車で15分)|道北バス 「春光台4条6丁目」停(徒歩7分)道順を見る |
| 築年月 | 築19年(2006年7月) |
| 駐車場 |
駐車可能台数:3台
|
【WEB面談可】
販売状況、見学、詳細を知りたい方はこちら!
お電話の際は「連合隊の物件」とお伝えください。
情報掲載期限:あと23日(更新日 2025/12/1)
- 物件写真・概要
- 周辺地図
-
【WEB面談可】
販売状況、見学、詳細を知りたい方はこちら!おすすめポイント
- 即引渡し可
- オール電化
交通色がついているアイコンをクリックすると、本物件までの道順を見ることができます。
- 永山駅JR宗谷本線車15分(約8.4km)
- 道北バス 「春光台4条6丁目」停徒歩7分(約551m)
物件概要
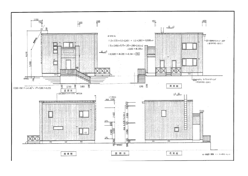
建物の階建 地上2階建 主要採光面 南西 構造 木造(在来工法) バルコニー あり(6.6m²)接道状況 一方 - 北西側幅8.00mの公道に18.18m接道
都市計画区域 市街化区域 私道負担 なし 地目/地勢 宅地 地勢:雛段 国土法届出 不要 土地権利 所有権 用途地域 - 第1種低層住居専用地域(建ぺい率:40% / 容積率:60%)
引渡し 即時 現況 空き 施工業者 道北振興(株) 建築確認番号 第H18確更建築旭川市005106号 取引態様 仲介 物件No 仲介手数料概算 49万5,000円(金額は概算です。正確な金額は不動産会社へお問合せ下さい) 設備・特徴 - 閑静な住宅街
- 物置
- 庭が広い(10坪以上)
- 日当り良好
- 照明器具付
- オール電化
- バリアフリー
- フローリング
- ウォークインクローゼット
- シューズボックス
- 全居室収納あり
- 納戸・トランクルーム
- 温水洗浄トイレ
- シャワー付洗面化粧台
- 浴室1坪以上
- IHクッキングヒーター
- コンロ3口以上
- システムキッチン
- 食器洗乾燥機
- 電気暖房
- 24時間換気システム
- 電気温水器
- モニタ付インターホン
備考 学区色がついているアイコンをクリックすると、本物件までの道順を見ることができます。
主な周辺施設色がついているアイコンをクリックすると、本物件までの道順を見ることができます。
-

この物件の担当者 伊藤 健憲(イトウ タケノリ)
前職では旭川市を中心に新築アパートのコンサルタントをしていたので多くのオーナー様とお付き合いがあります。不動産会社や管理会社との取引もあるので購入後の管理や募集作業などのご紹介にも自信があります!
ホームページはこちら北海道知事 上川(2) 第1251号
(株)グランドライン 【WEB面談可】- 加入団体
- (公社)全日本不動産協会
- 保証協会
- (公社)不動産保証協会
- 公正取引協議会
- (一社)北海道不動産公正取引協議会
※連合隊は物件情報の精度向上に努めています:「物件情報に誤りがある」「成約済みである」などお気付きの点がございましたらこちらよりご連絡ください。
写真枚数:21枚
旭川市以外の不動産取引も数多くの実績があります!
通常の不動産取引だけではなく、相続で使わなくなった物件や次世代に残したくない物件などのご相談も賜っております。