神居町富沢410-2他
ここに注目!旭川市神居町富沢に、広々とした土地が登場しました!「田舎暮らし向き」や「リゾート向け」の物件をお探しの方にぴったりの、夢が広がる場所です。豊かな自然に囲まれ、ゆったりとした時間を過ごしながら、あなただけの理想のライフスタイルを叶えませんか? 車で少し足を延ばせば、スーパーやドラッグストア、コンビニエンスストアも複数あり、日々のお買い物も安心です。 この広大な土地が1,485万円という魅力的な価格で手に入るのは嬉しいポイントですね。自然の中で心豊かな暮らしを実現したい方、ぜひ一度現地をご覧になってみませんか。お気軽にお問い合わせください。
この物件は、仲介手数料がかかりません。
この物件の売主は、情報を掲載している不動産会社です。仲介物件ではないため、仲介手数料は発生しません。
| 価格 |
1,485万円
坪単価:約1.0万円/坪
|
|---|---|
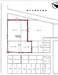
| 土地面積 | 4909m² (1484.97坪)(公簿) |
| 住所 | 北海道旭川市神居町富沢410-2 |
| 交通 | 神楽岡駅(車で9分)|旭川駅(車で15分)|道北バス 「神居7-15バス停」停(徒歩21分)道順を見る |
| 現況 | |
| 建築条件 | なし |
| 用途地域 |
|
販売状況、見学、詳細を知りたい方はこちら!
お電話の際は「連合隊の物件」とお伝えください。
新着 情報掲載期限:あと29日(更新日 2026/4/28)
- 物件写真・概要
- 周辺地図
-
販売状況、見学、詳細を知りたい方はこちら!
おすすめポイント
- 即引渡し可
- 建築条件なし
交通色がついているアイコンをクリックすると、本物件までの道順を見ることができます。
- 神楽岡駅JR富良野線車9分(約3.9km)
- 旭川駅JR石北本線、JR富良野線、JR宗谷本線、JR函館本線車15分(約5.9km)
- 道北バス 「神居7-15バス停」停徒歩21分
物件概要
販売区画数/
総区画数-/- 接道状況 都市計画区域 市街化調整区域 私道負担 地目/地勢 雑種地 国土法届出 土地権利 所有権 用途地域 - 無指定
引渡し 即時 現況 取引態様 売主 物件No 仲介手数料概算 取引態様が売主なので仲介手数料は不要です 設備・特徴 - 田舎暮らし向き
- リゾート向け
備考 *上水道引き込み可能。建築可能(建築する場合は、旭川市建築指導課への届出が必要)*前面道路は、建築基準法第42条1項3号道路です。 学区色がついているアイコンをクリックすると、本物件までの道順を見ることができます。
主な周辺施設色がついているアイコンをクリックすると、本物件までの道順を見ることができます。
-
ホームページはこちら北海道知事 上川(12) 第535号
(株)ホッポウ〒070-0039
TEL:0166-22-4183
FAX:0166-22-4195
営業時間:9:00~17:00
定休日:毎週 土曜・日曜・祝日
※連合隊は物件情報の精度向上に努めています:「物件情報に誤りがある」「成約済みである」などお気付きの点がございましたらこちらよりご連絡ください。
写真枚数:6枚