東川町北町7丁目
ここに注目!「東川町北町7丁目」に、ゆとりのある暮らしを叶える広大な土地が登場しました。 旭川電気軌道バス「北町3丁目」停まで徒歩4分と、アクセスも良好です。旭川空港まで車で12分。周辺にはツルハドラッグ(徒歩9分)、東川八号郵便局(徒歩10分)など、日々の生活に便利な施設が揃っています。 約1806.5m²(約546坪)の広々とした平坦な土地。開放感のある角地で、日当たりや通風も期待できます。用途無指定のため、理想の住まいを自由に設計できるだけでなく、ホテル・オーベルジュ・民宿・ペンション・リトリート施設等あらゆる建築可能。田舎暮らしやリゾート利用、多様な事業展開も検討できる可能性を秘めています。 豊かな自然に囲まれたこの場所で、あなただけの理想のライフスタイルを実現しませんか?詳細はお気軽にお問い合わせください。
この物件は、仲介手数料がかかりません。
この物件の売主は、情報を掲載している不動産会社です。仲介物件ではないため、仲介手数料は発生しません。
| 価格 |
4,980万円
坪単価:約9.1万円/坪
|
|---|---|
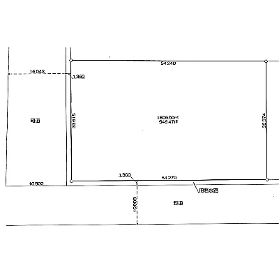
| 土地面積 | 1806.5m² (546.46坪)(実測) |
| 住所 | 北海道上川郡東川町北町7丁目970-71 |
| 交通 | 旭川電気軌道バス 「北町3丁目」停(徒歩4分) |
| 現況 | 更地 |
| 建築条件 | なし |
| 用途地域 |
|
販売状況、見学、詳細を知りたい方はこちら!
お電話の際は「連合隊の物件」とお伝えください。
情報掲載期限:あと30日(更新日 2025/12/22)
- 物件写真・概要
- 周辺地図
-
販売状況、見学、詳細を知りたい方はこちら!
おすすめポイント
- 即引渡し可
- 更地
- 建築条件なし
- 角地
- 電気
交通
- 旭川電気軌道バス 「北町3丁目」停徒歩4分
物件概要
販売区画数/
総区画数-/- 接道状況 都市計画区域 私道負担 地目/地勢 宅地 地勢:平坦 国土法届出 土地権利 所有権 用途地域 - 無指定
引渡し 即時 現況 更地 取引態様 売主 物件No 仲介手数料概算 取引態様が売主なので仲介手数料は不要です 設備・特徴 - 角地
- LPガス
- リゾート向け
- 田舎暮らし向き
- 電気
備考 学区色がついているアイコンをクリックすると、本物件までの道順を見ることができます。
主な周辺施設色がついているアイコンをクリックすると、本物件までの道順を見ることができます。
-
ホームページはこちら北海道知事 上川(12) 第535号
(株)ホッポウ〒070-0039
TEL:0166-22-4183
FAX:0166-22-4195
営業時間:9:00~17:00
定休日:毎週 土曜・日曜・祝日
※連合隊は物件情報の精度向上に努めています:「物件情報に誤りがある」「成約済みである」などお気付きの点がございましたらこちらよりご連絡ください。
写真枚数:7枚