土地|売買
鹿部町本別 別荘地C街区
ここに注目!☆ロイヤルシティ鹿部リゾート分譲地内☆自然豊かな別荘地☆
| 価格 |
80万円
坪単価:約2,667円/坪
|
|---|---|
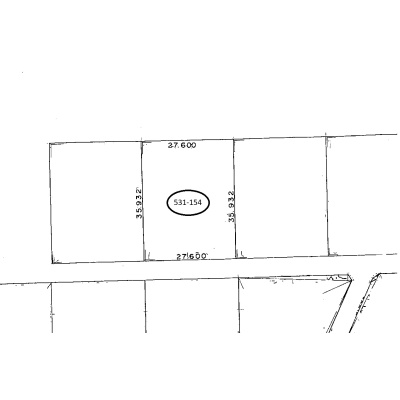
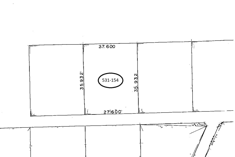
| 土地面積 | 991.7m² (299.98坪)(公簿) |
| 住所 | 北海道茅部郡鹿部町本別531-154 |
| 交通 | 鹿部駅(徒歩19分)道順を見る |
| 現況 | 更地 |
| 建築条件 | なし |
| 用途地域 |
|
販売状況、見学、詳細を知りたい方はこちら!
お電話の際は「連合隊の物件」とお伝えください。
0138-31-3800
情報掲載期限:あと8日(更新日 2026/2/18)
- 物件写真・概要
- 周辺地図
-
販売状況、見学、詳細を知りたい方はこちら!
おすすめポイント
- 更地
- 建築条件なし
- 電気
交通色がついているアイコンをクリックすると、本物件までの道順を見ることができます。
物件概要
販売区画数/
総区画数-/- 接道状況 一方 - 北側幅5.70mの道に接道
都市計画区域 都市計画区域外 私道負担 なし 地目/地勢 山林 国土法届出 不要 土地権利 所有権 用途地域 - 無指定(建ぺい率:30% / 容積率:60%)
その他費用 毎月の費用 - 管理費:1,650円
引渡し 相談 現況 更地 取引態様 仲介 物件No 仲介手数料概算 33万円(金額は概算です。正確な金額は不動産会社へお問合せ下さい) 設備・特徴 - LPガス
- 田舎暮らし向き
- リゾート向け
- 電気
備考 学区色がついているアイコンをクリックすると、本物件までの道順を見ることができます。
主な周辺施設色がついているアイコンをクリックすると、本物件までの道順を見ることができます。
-
※連合隊は物件情報の精度向上に努めています:「物件情報に誤りがある」「成約済みである」などお気付きの点がございましたらこちらよりご連絡ください。
写真枚数:4枚