亀田港町売土地
ここに注目!歩行者専用道路(通称ポプラトンネル)を通り抜けると…市立函館病院まで徒歩約5分、スーパーアークス港町店まで徒歩約11分、港小学校まで徒歩約7分と車を運転しない方でも住みやすい環境だと思います。五稜郭駅まで階段を2個所越えると徒歩約15分くらいで行けます。
| 価格 |
720万円
坪単価:約7.9万円/坪
|
|---|---|
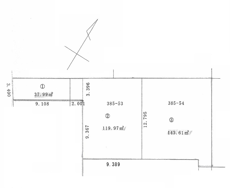
| 土地面積 | 301.57m² (91.22坪) |
| 住所 | 北海道函館市亀田港町5 |
| 交通 | 五稜郭駅(徒歩15分)|函館バス 「港小学校前」停(徒歩5分)道順を見る |
| 現況 | 更地 |
| 建築条件 | なし |
| 用途地域 |
|
販売状況、見学、詳細を知りたい方はこちら!
お電話の際は「連合隊の物件」とお伝えください。
情報掲載期限:あと30日(更新日 2026/2/13)
- 物件写真・概要
- 周辺地図
-
販売状況、見学、詳細を知りたい方はこちら!
おすすめポイント
- 更地
- 建築条件なし
- 上下水道
- 電気
- 都市ガス
- 近くて便利!徒歩5分以内にある施設
- 3分
3分- 5分
5分- 周辺施設を地図で確認
交通色がついているアイコンをクリックすると、本物件までの道順を見ることができます。
- 五稜郭駅JR函館本線、道南いさりび鉄道線徒歩15分(約1.2km)
- 函館バス 「港小学校前」停徒歩5分
物件概要
販売区画数/
総区画数-/- 接道状況 一方 - 西側幅6.50mの公道に3.40m接道
都市計画区域 市街化区域 私道負担 なし 地目/地勢 宅地 地勢:平坦 国土法届出 不要 土地権利 所有権 用途地域 - 第1種住居地域(建ぺい率:60% / 容積率:200%)
引渡し 相談 現況 更地 取引態様 仲介 物件No 仲介手数料概算 33万円(金額は概算です。正確な金額は不動産会社へお問合せ下さい) 設備・特徴 - 都市ガス
- 上下水道
- 電気
備考 掲載面積は合筆予定面積になります。 学区色がついているアイコンをクリックすると、本物件までの道順を見ることができます。
主な周辺施設色がついているアイコンをクリックすると、本物件までの道順を見ることができます。
-
※連合隊は物件情報の精度向上に努めています:「物件情報に誤りがある」「成約済みである」などお気付きの点がございましたらこちらよりご連絡ください。
写真枚数:6枚