室蘭市陣屋町4丁目土地
ここに注目!現況更地土地、4筆合計約250坪と広々とした土地になります 土砂災害警戒区域・急傾斜地に該当しています お問い合わせはハウスドゥ 室蘭 お電話 0143-45-2630 メール towa@bz04.plala.or.jp ご来店 室蘭市東町2丁目19番6号 までお気軽にどうぞ!
| 価格 |
150万円
坪単価:約5,978円/坪
|
|---|---|
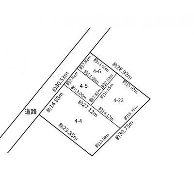
| 土地面積 | 829.63m² (250.96坪)(公簿) |
| 住所 | 北海道室蘭市陣屋町4-4,5,6,23 |
| 交通 | 道南バス「陣屋」停 (徒歩14分) |
| 現況 | 更地 |
| 建築条件 | なし |
| 用途地域 |
|
販売状況、見学、詳細を知りたい方はこちら!
お電話の際は「ホームページを見て」とお伝えください。
情報掲載期限:あと14日(更新日 2025/12/4)
- 物件写真・概要
- 周辺地図
-
販売状況、見学、詳細を知りたい方はこちら!
おすすめポイント
- 更地
- 建築条件なし
- 上下水道
- 電気
交通
- 本輪西駅JR室蘭本線バス4分→ 道南バス「陣屋」停 徒歩14分
物件概要
販売区画数/
総区画数-/- 接道状況 都市計画区域 市街化区域 私道負担 地目/地勢 宅地 地勢:高台 国土法届出 土地権利 所有権 用途地域 - 第1種住居地域(建ぺい率:60% / 容積率:200%)
引渡し 相談 現況 更地 取引態様 仲介 物件No 仲介手数料概算 33万円(金額は概算です。正確な金額は不動産会社へお問合せ下さい) 設備・特徴 - 上下水道
- 電気
備考 学区色がついているアイコンをクリックすると、本物件までの道順を見ることができます。
主な周辺施設色がついているアイコンをクリックすると、本物件までの道順を見ることができます。
-
ホームページはこちら
北海道知事 胆振(4) 第966号
ハウスドゥ 室蘭 (株)トワ・ピリエ〒050-0083
TEL:0143-45-2630
FAX:0143-45-2631
営業時間:10:00~17:00
定休日:毎週 水曜 / 第1 日曜 / 第3 日曜
- 保証協会
- (公社)不動産保証協会
- 公正取引協議会
- (一社)北海道不動産公正取引協議会
写真枚数:11枚
室蘭白鳥台郵便局
白鳥台 Hack
ホームストア港北店
室蘭太平洋病院







不動産売買専門店!室蘭・登別・伊達市の不動産はハウスドゥ 室蘭へ!
フランス語でトワ(toit)=屋根・ピリエ(pilier)=柱 建物の根幹を担う意味です。 「お客様にとって理想の住まい」「暮らしの豊かさ」とは何かを共に考え、ライフプランを見据えた最良のご提案を致します!