【建物付土地】北斗市谷好4丁目77番1、5・483番5
ここに注目!■広さを活かした多用途利用ができる150坪超えの古家付土地です。 ■国道228号線を目の前に、自然豊かなロケーションと静かな環境が魅力です。
| 価格 |
580万円
坪単価:約3.6万円/坪
|
|---|---|
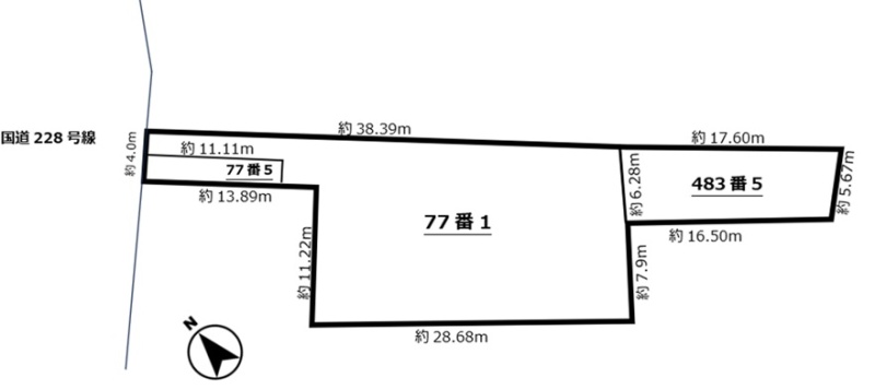
| 土地面積 | 525.89m² (159.08坪)(公簿) |
| 住所 | 北海道北斗市谷好4丁目6 |
| 交通 | 函館バス 「上谷好」停(徒歩8分) |
| 現況 | 建物付き(更地渡し可能) |
| 建築条件 | なし |
| 用途地域 |
|
販売状況、見学、詳細を知りたい方はこちら!
お電話の際は「連合隊の物件」とお伝えください。
新着 情報掲載期限:あと27日(更新日 2026/3/23)
- 物件写真・概要
- 周辺地図
-
販売状況、見学、詳細を知りたい方はこちら!
おすすめポイント
- 建築条件なし
交通
- 函館バス 「上谷好」停徒歩8分
物件概要
販売区画数/
総区画数-/- 接道状況 - 北西側幅18.00mの公道に接道
都市計画区域 市街化区域 私道負担 なし 地目/地勢 宅地 国土法届出 土地権利 所有権 用途地域 - 準工業地域(建ぺい率:60% / 容積率:200%)
引渡し 相談 現況 建物付き(更地渡し可能) 取引態様 仲介 物件No 23 仲介手数料概算 33万円(金額は概算です。正確な金額は不動産会社へお問合せ下さい) 設備・特徴 - 整形地
- 閑静な住宅街
- LPガス
- 汲取
- 古家付
備考 ※当該土地上未登記建物あり ①家屋(46年築/87.3㎡) ②物置(14.87㎡) ③木造柾葺平家建(52.89㎡) ④物置(33.05㎡) ※解体更地渡し 学区色がついているアイコンをクリックすると、本物件までの道順を見ることができます。
主な周辺施設色がついているアイコンをクリックすると、本物件までの道順を見ることができます。
-
ホームページはこちら
北海道知事 渡島(12) 第409号
イエステーション函館松風店 野村不動産函館(株)
※連合隊は物件情報の精度向上に努めています:「物件情報に誤りがある」「成約済みである」などお気付きの点がございましたらこちらよりご連絡ください。
写真枚数:10枚
全国展開のフランチャイズ 【イエステーション】 函館松風店 野村不動産函館㈱です。
令和7年1月松風店オープン!売買営業スタッフは全員宅建士です!函館市・北斗市・亀田郡七飯町エリアの戸建・土地・マンション・アパート等に特化した仲介・買取を行っております。相続した空き家の処分でお困りのかた是非ご相談ください。