函館市湯川町2丁目5−20・21角地 売土地
ここに注目!湯川温泉街に位置する好立地⭐︎周辺は住宅街となっており雰囲気の良い立地です⭐︎イオン近く・コンビニ多数あり⭐︎アパート用地や別荘用地などにもオススメです⭐︎コンパクトな住宅用地としての分割販売も可能です⭐︎ 『不動産の窓口』 EverGreen へお気軽にご相談下さい♪
| 価格 |
1,140万円
坪単価:約14.8万円/坪
|
|---|---|
| 土地面積 | 253.86m² (76.79坪)(公簿) |
| 住所 | 北海道函館市湯川町2-5 |
| 交通 | 湯の川温泉駅(徒歩9分)|湯の川駅(徒歩8分)道順を見る |
| 現況 | 更地 |
| 建築条件 | なし |
| 用途地域 |
|
【WEB面談可】
販売状況、見学、詳細を知りたい方はこちら!
お電話の際は「連合隊の物件」とお伝えください。
情報掲載期限:あと29日(更新日 2025/12/19)
- 物件写真・概要
- 周辺地図
-
【WEB面談可】
販売状況、見学、詳細を知りたい方はこちら!おすすめポイント
- 即引渡し可
- 更地
- 建築条件なし
- 角地
- 上下水道
- 電気
- 都市ガス
- 分筆可
- 近くて便利!徒歩5分以内にある施設
- 4分
4分- 周辺施設を地図で確認
交通色がついているアイコンをクリックすると、本物件までの道順を見ることができます。
物件概要
販売区画数/
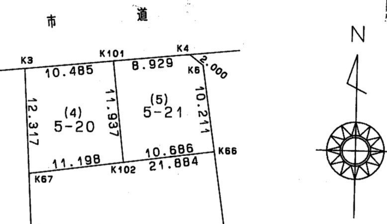
総区画数-/- 接道状況 角地 - 北側幅6.00mの公道に19.41m接道
- 東側幅4.00mの公道に12.21m接道
都市計画区域 市街化区域 私道負担 なし 地目/地勢 宅地 地勢:平坦 国土法届出 土地権利 所有権 用途地域 - 商業地域(建ぺい率:80% / 容積率:500%)
引渡し 即時 現況 更地 取引態様 仲介 物件No 仲介手数料概算 44万2,200円(金額は概算です。正確な金額は不動産会社へお問合せ下さい) 設備・特徴 - 角地
- 整形地
- 閑静な住宅街
- 都市ガス
- 分筆可
- 上下水道
- 電気
備考 区画割り可能 ・①5−21 角地37.07坪 590万円 ・②5−20 39.72坪 550万円 ※準防火地域 学区色がついているアイコンをクリックすると、本物件までの道順を見ることができます。
主な周辺施設色がついているアイコンをクリックすると、本物件までの道順を見ることができます。
-
ホームページはこちら
北海道知事 渡島(1) 第1254号
不動産の窓口 (株)EverGreen 【WEB面談可】- 保証協会
- (公社)全国宅地建物取引業保証協会
- 公正取引協議会
- (一社)北海道不動産公正取引協議会
※連合隊は物件情報の精度向上に努めています:「物件情報に誤りがある」「成約済みである」などお気付きの点がございましたらこちらよりご連絡ください。
写真枚数:9枚
『不動産の窓口』 EverGreen
函館を拠点に北斗・七飯・八雲など道南圏の不動産売却をサポートしている会社です。 不動産売買・賃貸・新築・リフォーム・収益物件運用 etc 幅広く対応させて頂きます、お気軽にご相談下さい。