高松町 146-13・146-14土地
ここに注目!根崎公園近くの北東角地で敷地面積76.43坪の高松町売土地です。外環状道路函館空港ICから車で5分、近隣にはバス停やスーパー・コンビニなど点在する立地です。お問合せお待ち致しております。 【借りたい・貸したい・買いたい・売りたいなど不動産のご相談はコナカエステート(0138-83-1365)まで】
| 価格 |
200万円
坪単価:約2.6万円/坪
|
|---|---|
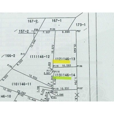
| 土地面積 | 252.68m² (76.43坪)(公簿) |
| 住所 | 北海道函館市高松町146-13 |
| 交通 | 函館バス「高松町」停 (徒歩1分)|湯の川温泉駅(徒歩18分) |
| 現況 | 建物付き(更地渡し可能)(建物解体更地渡しとなります。) |
| 建築条件 | なし |
| 用途地域 |
|
販売状況、見学、詳細を知りたい方はこちら!
お電話の際は「ホームページを見て」とお伝えください。
情報掲載期限:あと26日(更新日 2025/12/4)
- 物件写真・概要
- 周辺地図
-
販売状況、見学、詳細を知りたい方はこちら!
おすすめポイント
- 建築条件なし
- 角地
- 上下水道
交通色がついているアイコンをクリックすると、本物件までの道順を見ることができます。
- 湯の川温泉駅函館市電5系統、函館市電2系統徒歩18分(約1.4km)
- 函館バス「高松町」停 徒歩1分
物件概要
販売区画数/
総区画数-/- 接道状況 角地 - 北東側幅4.00mの公道に接道
- 南東側幅4.80mの公道に接道
都市計画区域 市街化区域 私道負担 なし 地目/地勢 宅地 国土法届出 不要 土地権利 所有権 用途地域 - 準工業地域(建ぺい率:60% / 容積率:200%)
引渡し 相談 現況 建物付き(更地渡し可能)(建物解体更地渡しとなります。) 取引態様 仲介 物件No 70123 仲介手数料概算 33万円(金額は概算です。正確な金額は不動産会社へお問合せ下さい) 設備・特徴 - 閑静な住宅街
- LPガス
- 上下水道
- 古家付
- 角地
備考 ※建物解体更地渡しです。 ※境界の明示無しとなります。 学区色がついているアイコンをクリックすると、本物件までの道順を見ることができます。
主な周辺施設色がついているアイコンをクリックすると、本物件までの道順を見ることができます。
-
ホームページはこちら
北海道知事 渡島(1) 第1228号
コナカエステート(株)
写真枚数:17枚
周辺道路
周辺道路
地域のみなさまのお役に立てるよう努力致します!
不動産取引を通しご縁を大切に親切・丁寧・明確な取引を目指しております。些細な案件でもお気軽にお問合せくださいませ!