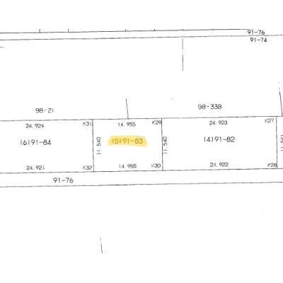
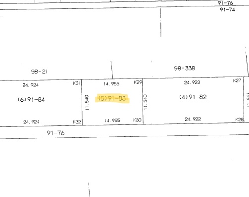
陣川町土地
ここに注目!【★Miraieホームオススメ物件☆】こちらの土地は建物建築はできませんが、資材置き場などにご利用いただけます。価格は大変お求めやすくなっています。 一見の価値あり! 経験豊富なスタッフが対応致します(^^♪ご連絡お待ちしております😊 お問い合わせはTEL0138-83-7280㈱Miraieホームまでご連絡下さい🎵
| 価格 |
30万円
坪単価:約5,766円/坪
|
|---|---|
| 土地面積 | 172m² (52.03坪)(公簿) |
| 住所 | 北海道函館市陣川町91-83 |
| 交通 | |
| 現況 | 更地(現状渡しになります。) |
| 建築条件 | なし |
| 用途地域 |
販売状況、見学、詳細を知りたい方はこちら!
お電話の際は「連合隊の物件」とお伝えください。
新着 情報掲載期限:あと29日(更新日 2026/3/3)
- 物件写真・概要
- 周辺地図
-
販売状況、見学、詳細を知りたい方はこちら!
おすすめポイント
- 即引渡し可
- 更地
- 建築条件なし
物件概要
販売区画数/
総区画数-/- 接道状況 一方 都市計画区域 市街化調整区域 私道負担 地目/地勢 原野 国土法届出 土地権利 所有権 用途地域 引渡し 即時 現況 更地(現状渡しになります。) 取引態様 仲介 物件No 仲介手数料概算 33万円(金額は概算です。正確な金額は不動産会社へお問合せ下さい) 設備・特徴 備考 前面道路は建築基準法の道路ではありません。 主な周辺施設色がついているアイコンをクリックすると、本物件までの道順を見ることができます。
-
※連合隊は物件情報の精度向上に努めています:「物件情報に誤りがある」「成約済みである」などお気付きの点がございましたらこちらよりご連絡ください。
写真枚数:6枚
未来の🏠を創造する不動産会社!函館市・北斗市・七飯町の住まい探しならお任せ下さい!
【☆あなたの住まい探しをサポートします☆】 豊富な知識を持ったスタッフがあなたにピッタリな物件をお探しします! 管理・リフォームも承ります! お客様と共に未来の🏠を創造する不動産会社です。