鹿部町本別売土地
ここに注目!【★Miraieホームオススメ物件☆】ロイヤルシティ鹿部F地区に95坪の売土地が登場しました。当物件はロイヤルシティ鹿部リゾート内にあり、自然豊かな別荘地になります。 一見の価値あり! 経験豊富なスタッフが対応致します(^^♪ご連絡お待ちしております😊 お問い合わせはTEL0138-83-7280㈱Miraieホームまでご連絡下さい🎵
| 価格 |
70万円
坪単価:約7,347円/坪
|
|---|---|
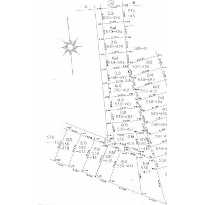
| 土地面積 | 315m² (95.28坪)(公簿) |
| 住所 | 北海道茅部郡鹿部町本別530番地395 |
| 交通 | 鹿部駅(徒歩17分)道順を見る |
| 現況 | 更地 |
| 建築条件 | なし |
| 用途地域 |
販売状況、見学、詳細を知りたい方はこちら!
お電話の際は「連合隊の物件」とお伝えください。
情報掲載期限:あと19日(更新日 2025/12/8)
- 物件写真・概要
- 周辺地図
-
販売状況、見学、詳細を知りたい方はこちら!
おすすめポイント
- 即引渡し可
- 更地
- 建築条件なし
- 電気
交通色がついているアイコンをクリックすると、本物件までの道順を見ることができます。
物件概要
販売区画数/
総区画数-/- 接道状況 一方 - 西側の私道に接道
都市計画区域 都市計画区域外 私道負担 地目/地勢 山林 国土法届出 土地権利 所有権 用途地域 引渡し 即時 現況 更地 取引態様 仲介 物件No 仲介手数料概算 33万円(金額は概算です。正確な金額は不動産会社へお問合せ下さい) 設備・特徴 - 田舎暮らし向き
- リゾート向け
- 電気
備考 都市計画区域外のため指定建蔽率及び指定容積率は指定されていませんが、ロイヤルシティ鹿部リゾート管理に関する諸規定内の建築工事等に関する規定第4条第10号に建蔽率は30%以下、容積率に60%以下とすることと規定されています。当土地は境界明示を行わず現状渡しになりますので予めご了承下さい。 学区色がついているアイコンをクリックすると、本物件までの道順を見ることができます。
主な周辺施設色がついているアイコンをクリックすると、本物件までの道順を見ることができます。
-
※連合隊は物件情報の精度向上に努めています:「物件情報に誤りがある」「成約済みである」などお気付きの点がございましたらこちらよりご連絡ください。
写真枚数:6枚
未来の🏠を創造する不動産会社!函館市・北斗市・七飯町の住まい探しならお任せ下さい!
【☆あなたの住まい探しをサポートします☆】 豊富な知識を持ったスタッフがあなたにピッタリな物件をお探しします! 管理・リフォームも承ります! お客様と共に未来の🏠を創造する不動産会社です。