売地 苫小牧市字勇払
ここに注目!苫小牧市字勇払の売地4179坪です。3/24に価格改定しました。 道道781号線沿い、千歳ラピダスまで21.3㎞約28分の準工業地域です。 会社・倉庫・資材置き場などに如何ですか? 価格交渉可能です。お気軽にご相談ください。
| 価格 |
8,350万円
坪単価:約2.0万円/坪
|
|---|---|
| 土地面積 | 13816m² (4179.34坪)(公簿) |
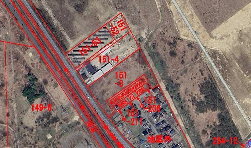
| 住所 | 北海道苫小牧市勇払151-3 |
| 交通 | 勇払駅(徒歩12分)道順を見る |
| 現況 | 更地 |
| 建築条件 | なし |
| 用途地域 |
|
販売状況、見学、詳細を知りたい方はこちら!
お電話の際は「連合隊の物件」とお伝えください。
情報掲載期限:あと24日(更新日 2025/12/22)
- 物件写真・概要
- 周辺地図
-
販売状況、見学、詳細を知りたい方はこちら!
おすすめポイント
- 更地
- 建築条件なし
- 上下水道
- 電気
交通色がついているアイコンをクリックすると、本物件までの道順を見ることができます。
物件概要
販売区画数/
総区画数1区画/全1区画 接道状況 一方 - 南西側幅28.00mの公道に106.00m接道
- 南西側幅6.50mの公道に6.50m接道
都市計画区域 市街化区域 私道負担 なし 地目/地勢 原野 地勢:低地 国土法届出 要届出 土地権利 所有権 用途地域 - 準工業地域(建ぺい率:60% / 容積率:200%)
引渡し 相談 現況 更地 取引態様 仲介 物件No 仲介手数料概算 282万1,500円(金額は概算です。正確な金額は不動産会社へお問合せ下さい) 設備・特徴 - LPガス
- 上下水道
- 電気
備考 道道781号線沿い、道道よりも低地。乗り入れ口の整備が必要です。現況渡し。距離は一部スケール読みです。 学区色がついているアイコンをクリックすると、本物件までの道順を見ることができます。
主な周辺施設色がついているアイコンをクリックすると、本物件までの道順を見ることができます。
-
※連合隊は物件情報の精度向上に努めています:「物件情報に誤りがある」「成約済みである」などお気付きの点がございましたらこちらよりご連絡ください。
写真枚数:12枚
苫小牧の不動産の事は(株)アドバンズへお任せください。
戸建ての現金買取・無料査定 ! その他、土地の売買や賃貸管理もお取り扱いしております。 苫小牧市や近郊の市町村も取り扱っております。 お気軽にアドバンズへ御相談ください。