苫小牧市三光町二丁目土地
ここに注目!苫小牧市内の一等地♪三光町♪なんと広々103坪♪アパートでも大きな戸建でも♪コープさっぽろステイへ徒歩5分♪ローソンもゲオもハッピーも徒歩5分以内♪郵便局、信組、信金、ドラッグストアーも徒歩圏内♪小学校も中学校もすぐで、徒歩10分掛かりません♪建築条件は有りませんのでお好きなハウスメーカー様で建てれます♪早いもの勝ち♪
| 価格 |
1,870万円
坪単価:約18.0万円/坪
|
|---|---|
| 土地面積 | 343.04m² (103.76坪)(公簿) |
| 住所 | 北海道苫小牧市三光町2-43-13 |
| 交通 | 苫小牧駅(車で9分)道順を見る |
| 現況 | 更地 |
| 建築条件 | なし |
| 用途地域 |
|
販売状況、見学、詳細を知りたい方はこちら!
お電話の際は「連合隊の物件」とお伝えください。
情報掲載期限:あと30日(更新日 2026/3/10)
- 物件写真・概要
- 周辺地図
-
販売状況、見学、詳細を知りたい方はこちら!
おすすめポイント
- 即引渡し可
- 更地
- 建築条件なし
- 近くて便利!徒歩5分以内にある施設
- 4分
4分- 5分
5分- 5分
5分- 周辺施設を地図で確認
交通色がついているアイコンをクリックすると、本物件までの道順を見ることができます。
物件概要
販売区画数/
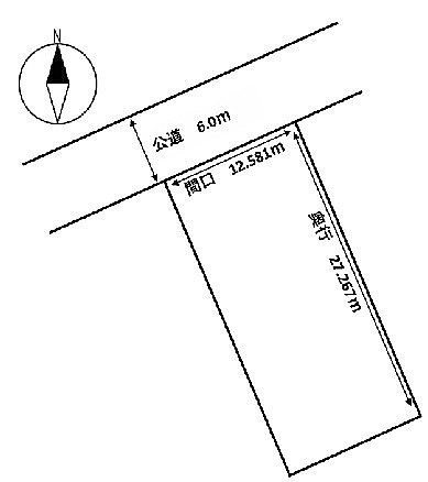
総区画数-/- 接道状況 一方 - 北西側幅6.00mの公道に12.58m接道
都市計画区域 市街化区域 私道負担 なし 地目/地勢 宅地 地勢:平坦 国土法届出 不要 土地権利 所有権 用途地域 - 第2種中高層住居専用地域(建ぺい率:60% / 容積率:200%)
引渡し 即時 現況 更地 取引態様 仲介 物件No 仲介手数料概算 68万3,100円(金額は概算です。正確な金額は不動産会社へお問合せ下さい) 設備・特徴 備考 学区色がついているアイコンをクリックすると、本物件までの道順を見ることができます。
主な周辺施設色がついているアイコンをクリックすると、本物件までの道順を見ることができます。
-
ホームページはこちら
北海道知事 胆振(2) 第1008号
(株) 絆 アクシア
※連合隊は物件情報の精度向上に努めています:「物件情報に誤りがある」「成約済みである」などお気付きの点がございましたらこちらよりご連絡ください。
写真枚数:4枚
connection between people is very important
「人と人との繋がりを大切に」それは「絆」 どんな些細なご縁でも大切にし、ニーズに応えていきたい。