【道の駅まで徒歩圏内・峠下売土地】
ここに注目!◎道の駅まで400m・セブンイレブンまで徒歩圏内にあり新函館北斗駅まで車で10分!自然豊かな閑静な利便性の良い地域です。
| 価格 |
100万円
坪単価:約9,097円/坪
|
|---|---|
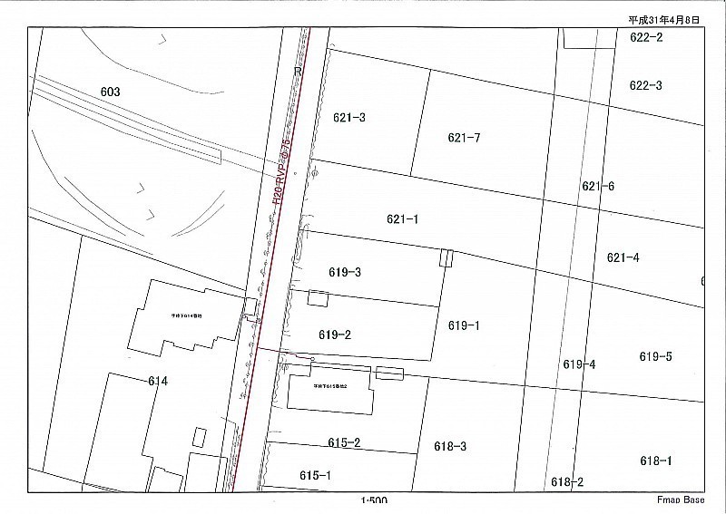
| 土地面積 | 363.41m² (109.93坪)(公簿) |
| 住所 | 北海道亀田郡七飯町峠下619番地3 |
| 交通 | 仁山駅(徒歩29分)|新函館北斗駅(車で10分) |
| 現況 | 更地 |
| 建築条件 | なし |
| 用途地域 |
|
販売状況、見学、詳細を知りたい方はこちら!
お電話の際は「連合隊の物件」とお伝えください。
情報掲載期限:あと30日(更新日 2025/12/30)
- 物件写真・概要
- 周辺地図
-
販売状況、見学、詳細を知りたい方はこちら!
おすすめポイント
- 更地
- 建築条件なし
- 近くて便利!徒歩5分以内にある施設
- 4分
4分- 4分
4分- 周辺施設を地図で確認
交通色がついているアイコンをクリックすると、本物件までの道順を見ることができます。
物件概要
販売区画数/
総区画数-/- 接道状況 一方 - 西側の私道に接道
都市計画区域 都市計画区域外 私道負担 なし 地目/地勢 宅地 地勢:平坦 国土法届出 不要 土地権利 所有権 用途地域 - ―(建ぺい率:60% / 容積率:200%)
引渡し 相談 現況 更地 取引態様 仲介 物件No 20250218 仲介手数料概算 33万円(金額は概算です。正確な金額は不動産会社へお問合せ下さい) 設備・特徴 - 整形地
- 閑静な住宅街
- LPガス
- 家庭菜園用地
備考 学区色がついているアイコンをクリックすると、本物件までの道順を見ることができます。
主な周辺施設色がついているアイコンをクリックすると、本物件までの道順を見ることができます。
-
ホームページはこちら
北海道知事 渡島(3) 第1167号
(株)メリーハウス
※連合隊は物件情報の精度向上に努めています:「物件情報に誤りがある」「成約済みである」などお気付きの点がございましたらこちらよりご連絡ください。
写真枚数:30枚
函館市内・北斗市・七飯町の売却・購入のご相談は、 メリーハウスへ☆
不動産売買の豊富な経験と実績をいかし、安心・安全な不動産取引・リフォーム等のご提案をさせていただきます。査定(無料)・買取・売却・購入のご相談は、メリーハウスにお任せください!!