北斗市久根別二丁目「住宅用地」
ここに注目!北斗市久根別二丁目に、夢のマイホームを実現する住宅用地が登場しました! 道南いさりび鉄道線「久根別」駅まで徒歩10分と、通勤・通学にも便利な立地が魅力です。 広々とした198.48㎡(約60坪)の平坦な土地で、ゆとりのある住まいづくりが可能です。南側公道に接道しており、陽当たりも期待できます。 周辺には、ラルズマート(徒歩4分)やセブンイレブン(徒歩5分)、渡島信用金庫(徒歩1分)など生活施設が充実しており、日々の暮らしを快適にサポートします。 お子様の通学にも安心な久根別小学校まで徒歩8分。 第一種住居地域のため、穏やかな住環境が期待できます。 価格は600万円。この機会に、ご家族の理想の住まいを形にしませんか? 詳細はお気軽にお問い合わせください。
| 価格 |
600万円
坪単価:約10.0万円/坪
|
|---|---|
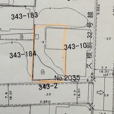
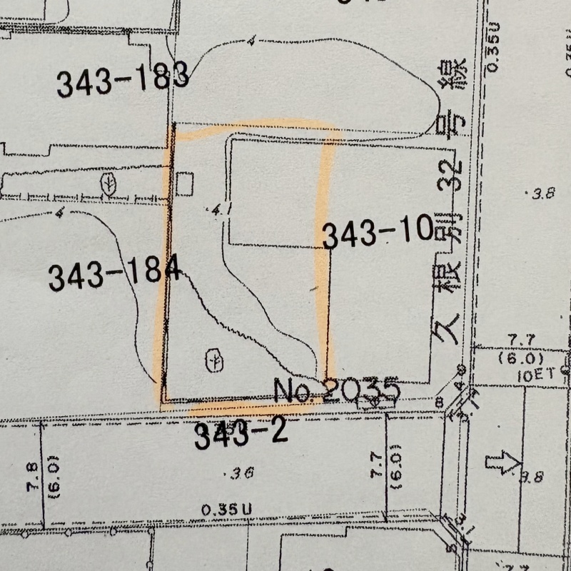
| 土地面積 | 198.48m² (60.04坪)(実測) |
| 住所 | 北海道北斗市久根別2丁目10番17号 |
| 交通 | 久根別駅(徒歩10分)|東久根別駅(徒歩11分)道順を見る |
| 現況 | 更地 |
| 建築条件 | なし |
| 用途地域 |
|
販売状況、見学、詳細を知りたい方はこちら!
お電話の際は「連合隊の物件」とお伝えください。
情報掲載期限:あと16日(更新日 2025/11/25)
- 物件写真・概要
- 周辺地図
-
販売状況、見学、詳細を知りたい方はこちら!
おすすめポイント
- 更地
- 建築条件なし
- 南道路
- 複数路線利用可
- 近くて便利!徒歩5分以内にある施設
- 5分
5分- 4分
4分- 周辺施設を地図で確認
交通色がついているアイコンをクリックすると、本物件までの道順を見ることができます。
物件概要
販売区画数/
総区画数1区画/全1区画 接道状況 一方 - 南側幅7.70mの公道に9.64m接道 位置指定:無
都市計画区域 市街化区域 私道負担 なし 地目/地勢 宅地 地勢:平坦 国土法届出 不要 土地権利 所有権 用途地域 - 第1種住居地域(建ぺい率:60% / 容積率:200%)
引渡し 相談 現況 更地 取引態様 仲介 物件No 仲介手数料概算 33万円(金額は概算です。正確な金額は不動産会社へお問合せ下さい) 設備・特徴 - 複数路線利用可
- LPガス
備考 ※1.前面道路に下水道管未敷設(引込料金が別途かかります)。 ※2.前面道路間に支線があります(移設は要協議となります)。 ※3.敷地内残存物(ブロック塀)あり(撤去については要協議となります)。 学区色がついているアイコンをクリックすると、本物件までの道順を見ることができます。
主な周辺施設色がついているアイコンをクリックすると、本物件までの道順を見ることができます。
-
ホームページはこちら
北海道知事 渡島(3) 第1172号
青函不動産(株)- 加入団体
- (公社)北海道宅地建物取引業協会
- 保証協会
- (公社)全国宅地建物取引業保証協会
- 公正取引協議会
- (一社)北海道不動産公正取引協議会
※連合隊は物件情報の精度向上に努めています:「物件情報に誤りがある」「成約済みである」などお気付きの点がございましたらこちらよりご連絡ください。
写真枚数:11枚
◎お問合せは気軽に「真剣に対応しています」!
【保有資格】 宅地建物取引士、 マンション管理士、 管理業務主任者、 賃貸不動産経営管理士、 住宅ローンアドバイザー、 少額短期保険募集人他。