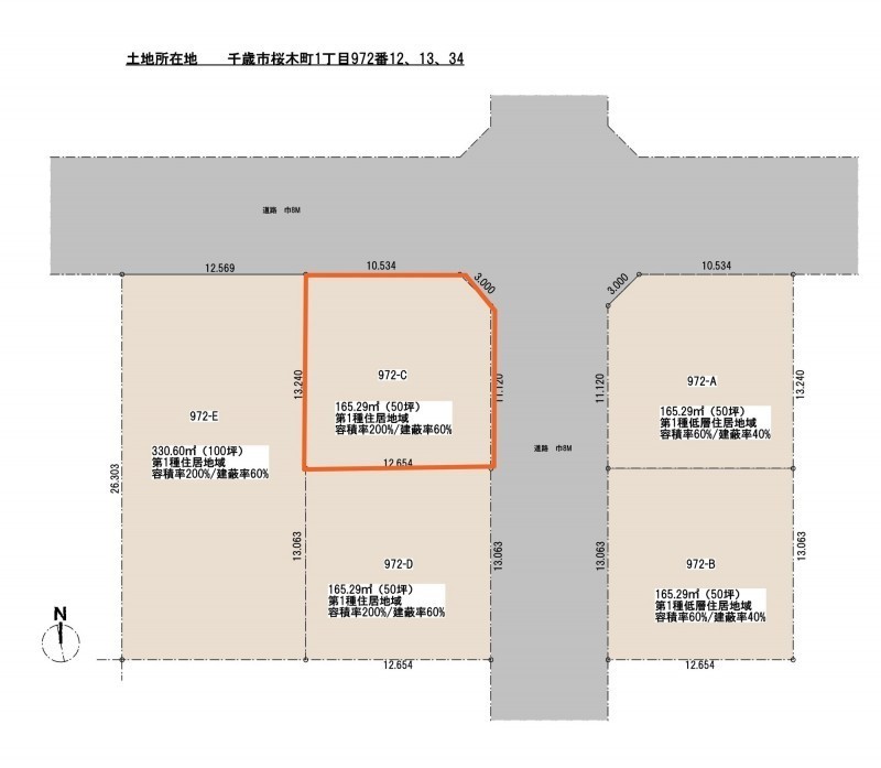
千歳市桜木1-972-13 角地 50坪
ここに注目!50坪角地!JR「長都駅」まで徒歩約24分・桜木小学校 徒歩9分、桜木中央公園 徒歩6分・スーパー・クリニック・飲食店が揃った生活利便性・緑が多く、子育て環境にも最適・北海道らしいゆとりある区画に、心地よいデザインと性能を備えた住まいを提供します。
この物件は、仲介手数料がかかりません。
この物件の売主は、情報を掲載している不動産会社です。仲介物件ではないため、仲介手数料は発生しません。
この土地は、指定された施工会社によって建物を建てることが条件となっています。
購入から設計・施工までスムーズに進行するというメリットがあります。建築プランの有無など、詳細は掲載先の不動産会社へお問合せください。
| 価格 |
950万円
坪単価:約19万円/坪
|
|---|---|
| 土地面積 | 165.29m² (50坪)(公簿) |
| 住所 | 北海道千歳市桜木1-972-13 |
| 交通 | 中央バス「桜木1丁目」停 (徒歩5分)|千歳駅(車で11分)|長都駅(徒歩24分)道順を見る |
| 現況 | 更地 |
| 建築条件 | あり |
| 用途地域 |
|
販売状況、見学、詳細を知りたい方はこちら!
お電話の際は「連合隊の物件」とお伝えください。
情報掲載期限:あと16日(更新日 2025/12/8)
- 物件写真・概要
- 周辺地図
-
販売状況、見学、詳細を知りたい方はこちら!
おすすめポイント
- 更地
- 角地
- 上下水道
- 電気
- 都市ガス
交通色がついているアイコンをクリックすると、本物件までの道順を見ることができます。
- 千歳駅JR千歳線車11分(約4.2km)
- 長都駅JR千歳線徒歩24分(約1.9km)
- 中央バス「桜木1丁目」停 徒歩5分(約350m)
物件概要
販売区画数/
総区画数5区画/全5区画 接道状況 角地 - 北東側幅8.00mの公道に10.53m接道 位置指定:無
- 南東側幅8.00mの公道に11.12m接道 位置指定:無
都市計画区域 市街化区域 私道負担 なし 地目/地勢 宅地 地勢:平坦 国土法届出 不要 土地権利 所有権 用途地域 - 第1種住居地域(建ぺい率:60% / 容積率:200%)
引渡し 相談(建物完成後) 現況 更地 取引態様 売主 物件No 仲介手数料概算 取引態様が売主なので仲介手数料は不要です 設備・特徴 - 角地
- 整形地
- 閑静な住宅街
- 都市ガス
- 上下水道
- 電気
備考 学区色がついているアイコンをクリックすると、本物件までの道順を見ることができます。
主な周辺施設色がついているアイコンをクリックすると、本物件までの道順を見ることができます。
-
ホームページはこちら北海道知事 オホ(5) 第294号
(株)竹口組
※連合隊は物件情報の精度向上に努めています:「物件情報に誤りがある」「成約済みである」などお気付きの点がございましたらこちらよりご連絡ください。
写真枚数:5枚
千歳市近郊の工務店・竹口組
冬にはマイナス20度を超える道東の北見市で私たち竹口組は家づくりに携わってきました。 そのノウハウをもって、千歳市近郊の皆様にも暖かく想いの詰まった家をご提供いたします。