月寒東2条20丁目 売土地
ここに注目!札幌市豊平区月寒東2条に、約211坪の広々とした売土地のご紹介です!平坦な地形が魅力のこの土地は、第1種中高層住居専用地域に位置しており、ゆとりのある空間で理想のマイホームを自由に描いていただけます。北東側は位置指定道路に接しており、アクセスも良好です。 周辺は閑静な住宅街で、落ち着いた暮らしが実現します。徒歩圏内にはスーパーやコンビニ、ドラッグストアが充実しており、毎日のお買い物も便利にこなせます。小学校まで徒歩20分、中学校まで徒歩13分と、お子様の通学も安心の立地です。プロパンガス、上下水道、電気といった生活インフラも整備されており、安心して新生活を始められます。 この広大な土地で、ご家族の理想の暮らしを始めてみませんか?
| 価格 |
2,380万円
坪単価:約11.3万円/坪
|
|---|---|
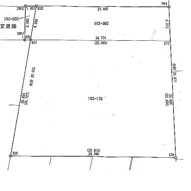
| 土地面積 | 699m² (211.44坪)(公簿) |
| 住所 | 北海道札幌市豊平区月寒東二条20丁目193-176 |
| 交通 | 月寒中央駅(徒歩45分)道順を見る |
| 現況 | 更地 |
| 建築条件 | なし |
| 用途地域 |
|
販売状況、見学、詳細を知りたい方はこちら!
お電話の際は「連合隊の物件」とお伝えください。
情報掲載期限:あと26日(更新日 2026/3/13)
- 物件写真・概要
- 周辺地図
-
販売状況、見学、詳細を知りたい方はこちら!
おすすめポイント
- 即引渡し可
- 更地
- 建築条件なし
- 上下水道
- 電気
交通色がついているアイコンをクリックすると、本物件までの道順を見ることができます。
物件概要
販売区画数/
総区画数-/- 接道状況 一方 - 北東側幅5.80mの私道に6.06m接道 位置指定:有
都市計画区域 市街化区域 私道負担 地目/地勢 原野 地勢:平坦 国土法届出 不要 土地権利 所有権 用途地域 - 第1種中高層住居専用地域(建ぺい率:60% / 容積率:200%)
引渡し 即時 現況 更地 取引態様 仲介 物件No 仲介手数料概算 85万1,400円(金額は概算です。正確な金額は不動産会社へお問合せ下さい) 設備・特徴 - LPガス
- 閑静な住宅街
- 上下水道
- 電気
備考 学区色がついているアイコンをクリックすると、本物件までの道順を見ることができます。
主な周辺施設色がついているアイコンをクリックすると、本物件までの道順を見ることができます。
-
ホームページはこちら
北海道知事 石狩(7) 第5882号
(株)さくらホーム
※連合隊は物件情報の精度向上に努めています:「物件情報に誤りがある」「成約済みである」などお気付きの点がございましたらこちらよりご連絡ください。
写真枚数:10枚
閑静な月寒東2条の住宅地
位置指定道路に接す
DCM
アークス
生鮮市場
セイコーマート
さくらホームは各得意分野を持つ社長と社員が、どんな時でも真心をこめて対応させていただきます。
皆様の大切な財産の査定や様々なニーズに、過去の取引経験と豊富なデータからスピーディーな情報と適切なアドバイスでお応えし、最良の選択のお手伝いをいたします。