恵庭市中島町売り土地
ここに注目!解体更地渡し!
この土地は、指定された施工会社によって建物を建てることが条件となっています。
購入から設計・施工までスムーズに進行するというメリットがあります。建築プランの有無など、詳細は掲載先の不動産会社へお問合せください。
| 価格 |
9,840万円
坪単価:約31.0万円/坪
|
|---|---|
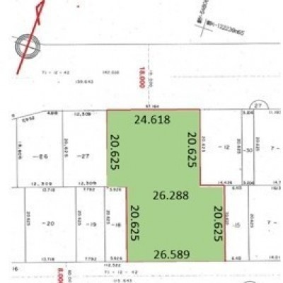
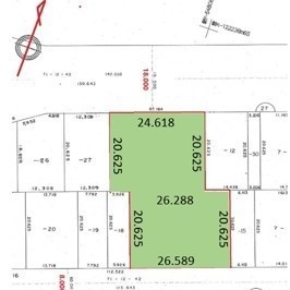
| 土地面積 | 1049.92m² (317.6坪)(公簿) |
| 住所 | 北海道恵庭市中島町5-7-28 |
| 交通 | |
| 現況 | |
| 建築条件 | あり |
| 用途地域 |
|
販売状況、見学、詳細を知りたい方はこちら!
お電話の際は「連合隊の物件」とお伝えください。
情報掲載期限:あと17日(更新日 2025/12/11)
- 物件写真・概要
- 周辺地図
-
販売状況、見学、詳細を知りたい方はこちら!
おすすめポイント
- 上下水道
- 近くて便利!徒歩5分以内にある施設
- 5分
5分- 周辺施設を地図で確認
物件概要
販売区画数/
総区画数-/- 接道状況 二方(除角地) 都市計画区域 市街化区域 私道負担 地目/地勢 宅地 地勢:平坦 国土法届出 土地権利 所有権 用途地域 - 第1種中高層住居専用地域(建ぺい率:60% / 容積率:200%)
引渡し 相談 現況 取引態様 仲介 物件No 仲介手数料概算 331万3,200円(金額は概算です。正確な金額は不動産会社へお問合せ下さい) 設備・特徴 - 上下水道
備考 他業者取り扱い物件! 浸水想定区域に該当します。恵庭市洪水ハザードマップを確認下さい。 学区色がついているアイコンをクリックすると、本物件までの道順を見ることができます。
-
ホームページはこちら
北海道知事 石狩(6) 第6204号
(有)一成不動産- 加入団体
- (公社)北海道宅地建物取引業協会、(一社)全国賃貸不動産管理業協会
- 保証協会
- (公社)全国宅地建物取引業保証協会
- 公正取引協議会
- (一社)北海道不動産公正取引協議会
※連合隊は物件情報の精度向上に努めています:「物件情報に誤りがある」「成約済みである」などお気付きの点がございましたらこちらよりご連絡ください。
写真枚数:1枚
千歳市・恵庭市近郊の不動産のことなら一成不動産へ!!
社員全員が宅地建物取引士の資格を持っている100%取引士在籍店です。☆不動産売買の仲介・代理・買取☆不動産賃貸の管理・仲介☆お任せ下さい!親切、丁寧、迅速に対応いたします!!