小樽市若竹町81番2 土地
ここに注目!■南東側前面道路12.5mから南西側14mの不定幅員に面する■隣地との越境あり■近隣商業施設多数
| 価格 |
890万円
坪単価:約5.4万円/坪
|
|---|---|
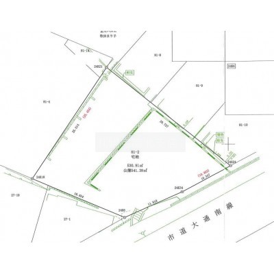
| 土地面積 | 541.38m² (163.76坪)(公簿) |
| 住所 | 北海道小樽市若竹町 (詳細非公開) |
| 交通 | 中央バス 小樽築港(徒歩7分) |
| 現況 | 更地 |
| 建築条件 | |
| 用途地域 |
|
【WEB面談可】
販売状況、見学、詳細を知りたい方はこちら!
お電話の際は「連合隊の物件」とお伝えください。
新着 情報掲載期限:あと30日(更新日 2026/3/6)
- 物件写真・概要
- 周辺地図
-
【WEB面談可】
販売状況、見学、詳細を知りたい方はこちら!おすすめポイント
- 即引渡し可
- 更地
交通
- 中央バス 小樽築港徒歩7分
物件概要
販売区画数/
総区画数-/- 接道状況 - 接道1:公道、南東、幅員12.5m、接面22.1m
都市計画区域 市街化区域 私道負担 地目/地勢 宅地 地勢:雛段 国土法届出 土地権利 所有権 用途地域 - 1種中高(建ぺい率:60% / 容積率:200%)
引渡し 即時 現況 更地 取引態様 仲介 物件No B02724-000147 仲介手数料概算 不動産会社へお問合せください 設備・特徴 備考 地勢:雛段 主な周辺施設
- 小樽築港駅(JR北海道 函館本線)約2.4km(徒歩30分)
- ベビー・子供用品バースデイウイングベイ小樽店約2.6km(徒歩32分)
- ラルズマート桜町店約990m(徒歩13分)
- セイコーマート小樽若竹店約620m(徒歩8分)
- ココカラファインウイングベイ店約2.2km(徒歩28分)
- スーパービバホームウイングベイ小樽店約2.6km(徒歩32分)
- モスバーガーウイングベイ小樽店約2.5km(徒歩31分)
- 鱗友朝市約4.7km(徒歩58分)
- モト・ステージツバメ約420m(徒歩6分)
- 国立小樽商科大学約5km(徒歩63分)
-
ホームページはこちら
北海道知事 石狩(15) 第1122号
札幌宅商(株) 北支店 【WEB面談可】〒001-0023
北海道札幌市北区北二十三条西4丁目2番1号
バスターミナルビル 2FTEL:011-757-2321
FAX:011-757-2341
営業時間:10:00~18:25
定休日:毎週 水曜 / 第2 火曜 / 第3 火曜
- 加入団体
- (公社)北海道宅地建物取引業協会
- 保証協会
- (公社)全国宅地建物取引業保証協会
- 公正取引協議会
- (一社)北海道不動産公正取引協議会
※連合隊は物件情報の精度向上に努めています:「物件情報に誤りがある」「成約済みである」などお気付きの点がございましたらこちらよりご連絡ください。
写真枚数:2枚
間取図
徒歩30分。















創業55周年の札幌宅商。売買から賃貸、管理まで、不動産のことなら何でもお問い合わせください。
弊社は地元札幌で創業54周年を迎えます。お客様と一生涯のお付き合いができるよう「総合力の不動産会社」として時には賃貸、時には売買とお客様のライフスタイルに合わせたお住み替えをお手伝いさせて頂きます。