厚真町上厚真 「かみあつま キラリタウン」
ここに注目!かみあつまきらりタウン内。バス停も近くにあります。
https://jinde.co.jp/archives/land_info/46488.html
この物件は、仲介手数料がかかりません。
この物件の売主は、情報を掲載している不動産会社です。仲介物件ではないため、仲介手数料は発生しません。
この土地は、指定された施工会社によって建物を建てることが条件となっています。
購入から設計・施工までスムーズに進行するというメリットがあります。建築プランの有無など、詳細は掲載先の不動産会社へお問合せください。
| 価格 |
325万円
坪単価:約2.7万円/坪
|
|---|---|
| 土地面積 | 394.74m² (119.4坪)(公簿) |
| 住所 | 北海道勇払郡厚真町上厚真520 |
| 交通 | 「道南バス上厚真停」停 (徒歩6分) |
| 現況 | 更地 |
| 建築条件 | あり |
| 用途地域 |
|
販売状況、見学、詳細を知りたい方はこちら!
お電話の際は「連合隊の物件」とお伝えください。
情報掲載期限:あと29日(更新日 2025/12/25)
- 物件写真・概要
- 周辺地図
-
販売状況、見学、詳細を知りたい方はこちら!
おすすめポイント
- 更地
- 上下水道
- 電気
- 近くて便利!徒歩5分以内にある施設
- 4分
4分- 周辺施設を地図で確認
交通
- 「道南バス上厚真停」停 徒歩6分(約480m)
物件概要
販売区画数/
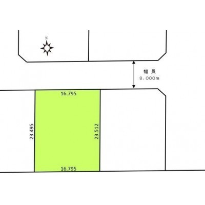
総区画数1区画/全1区画 接道状況 - 北側幅8.00mの公道に16.80m接道 位置指定:無
都市計画区域 市街化区域 私道負担 なし 地目/地勢 宅地 地勢:平坦 国土法届出 不要 土地権利 所有権 用途地域 - 第1種住居地域(建ぺい率:60% / 容積率:200%)
引渡し 相談 現況 更地 取引態様 売主 物件No 仲介手数料概算 取引態様が売主なので仲介手数料は不要です 設備・特徴 - 整形地
- 閑静な住宅街
- LPガス
- 上下水道
- 浄化槽
- 電気
備考 ■現況:更地 ■下水に関しましては、浄化槽が必要になります。 学区色がついているアイコンをクリックすると、本物件までの道順を見ることができます。
主な周辺施設色がついているアイコンをクリックすると、本物件までの道順を見ることができます。
-
ホームページはこちら北海道知事 石狩(3) 第7869号
(株)ecoaハウス
※連合隊は物件情報の精度向上に努めています:「物件情報に誤りがある」「成約済みである」などお気付きの点がございましたらこちらよりご連絡ください。
写真枚数:1枚