名古屋市西区大野木倉庫事務所
ここに注目!1階63.97坪、2階65.34坪、敷地面積163.99坪 全テナントの什器使用可能・撤去可能 1階倉庫天高3m・エアコン残置扱い
| 賃料・費用 |
110万円
(+管理費等 -円)
坪単価:約8,507円/坪
礼なし仲110万円
保証金:1,320万円(12ヶ月)/敷引・償却金:36万3,000円
|
|---|---|
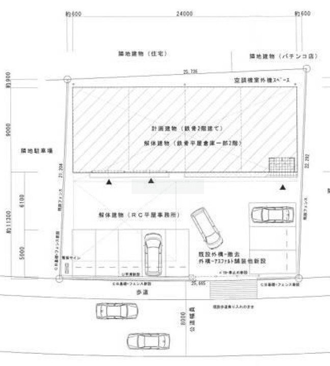
| 専有面積 | 427.5m² (129.31坪) |
| 住所 | 愛知県名古屋市西区大野木4丁目5-2 |
| 交通 | 庄内緑地公園駅(徒歩15分)|「大野木四丁目」停(徒歩4分) |
| 階/階建 | 2階建 |
| 築年月 | 築5年(2020年10月) |
| 駐車場 |
あり 駐車可能台数:8台
|
空室確認、見学、詳細を知りたい方はこちら!
お電話の際は「連合隊の物件」とお伝えください。
新着 情報掲載期限:あと29日(更新日 2026/4/7)
- 物件写真・概要
- 周辺地図
-
空室確認、見学、詳細を知りたい方はこちら!
おすすめポイント
- 即入居可
- 駐車2台以上可
- 光ファイバー
交通色がついているアイコンをクリックすると、本物件までの道順を見ることができます。
- 庄内緑地公園駅名古屋市営地下鉄鶴舞線徒歩15分(約1.2km)
- 「大野木四丁目」停徒歩4分(約300m)
物件概要
所在階/建物の階建 1棟 / 地上2階建 主要採光面 構造 鉄骨造 間取り 契約期間 10年間 権利金 住宅保険 出店推奨業種 出店不可業種 引渡し 即時 管理人 取引態様 仲介 物件No 設備・特徴 - ブロードバンド回線(光ファイバー等の高速インターネット)
- その他:公共下水・光回線・上下水道・電気
備考 店舗・事務所 -
ホームページはこちら愛知県知事 (3) 第22366号
(株)Tースタイル
※連合隊は物件情報の精度向上に努めています:「物件情報に誤りがある」「成約済みである」などお気付きの点がございましたらこちらよりご連絡ください。
写真枚数:5枚