1300超の広い土地!釧路町中央
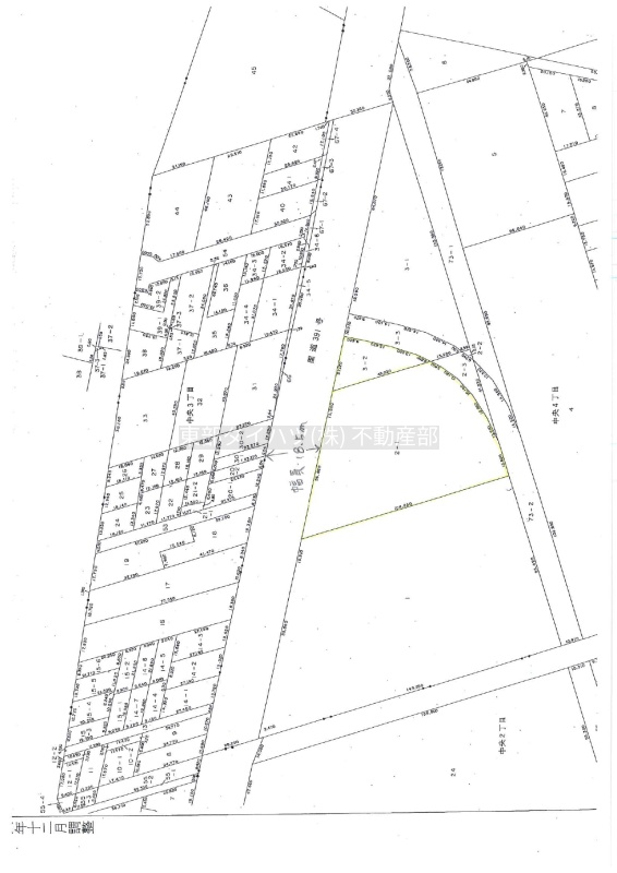
ここに注目!釧路町中央にある、広々とした約1318坪(4360㎡)の土地です。 くしろバス「中央3丁目」停まで徒歩2分とアクセスしやすく、事業用地としても魅力的な立地です。 工業地域に位置し、建ぺい率60%・容積率200%と、多様な用途にご検討いただけます。平坦な地形は開発もしやすく、角地であることもポイント。 初期費用を抑えたい方に嬉しい礼金ゼロ!敷金は30万円です。 周辺にはローソン(徒歩5分)があり、日常のお買い物にも便利。DCMやニトリなどのホームセンターも車でアクセスしやすい距離に点在し、生活利便施設が充実しています。 ※本物件は、調査により自然由来のヒ素が検出されております。詳細はお気軽にお問い合わせください。 この広大な土地で、あなたの夢を実現しませんか? ご興味をお持ちいただけましたら、ぜひ一度現地をご覧ください。
この物件は、仲介手数料がかかりません。
この物件の貸主は、情報を掲載している不動産会社です。仲介物件ではないため、仲介手数料は発生しません。
| 賃料・費用 |
33万円(+管理費等 -円)
坪単価:約251円/坪
敷30万円礼なし仲なし
保証金:なし
|
|---|---|
| 土地面積 | 4360m² (1318.9坪)(公簿) |
| 住所 | 北海道釧路郡釧路町中央4丁目2-1 |
| 交通 | くしろバス 「中央3丁目」停(徒歩2分) |
| 用途地域 |
|
空室確認、見学、詳細を知りたい方はこちら!
お電話の際は「連合隊の物件」とお伝えください。
情報掲載期限:あと22日(更新日 2025/12/12)
- 物件写真・概要
- 周辺地図
-
空室確認、見学、詳細を知りたい方はこちら!
おすすめポイント
- 南道路
- 角地
- 都市ガス
- 上下水道
- 電気
- 近くて便利!徒歩5分以内にある施設
- 5分
5分- 周辺施設を地図で確認
交通
- くしろバス 「中央3丁目」停徒歩2分(約100m)
物件概要
接道状況 角地 都市計画 市街化区域 私道負担 地目/地勢 原野 地勢:平坦 国土法届出 契約期間 更新料/更新手数料 なし 住宅保険 引渡し 即時 取引態様 貸主 物件No 設備・特徴 - 角地
備考 調査により、こちらの土地から自然由来のヒ素が検出されております。 学区色がついているアイコンをクリックすると、本物件までの道順を見ることができます。
主な周辺施設色がついているアイコンをクリックすると、本物件までの道順を見ることができます。
-
※連合隊は物件情報の精度向上に努めています:「物件情報に誤りがある」「成約済みである」などお気付きの点がございましたらこちらよりご連絡ください。
写真枚数:19枚
ローソン
トライアル
DCM
イオン釧路店
不動産のご相談、買取、仲介、家財道具の処分など、様々な状況に合わせてサポートいたします。
弊社は終活アドバイザー・ファイナンシャルプランニング技能士・住宅ローンアドバイザーが在籍しているお店です。不動産の事ならお任せください!その他残置物処分、リフォーム見積などもお気軽にご相談ください。