☆鳥飼下3丁目 平屋倉庫☆天井高6m以上
ここに注目!☆ReYZのコメント☆ 天井高6m以上の平屋倉庫。大型車進入規制あり。 ご希望など、お気軽にご相談ください。 オーナー様のご希望によりこちらに掲載していない物件のご紹介も可能です。
| 賃料・費用 |
77万円
(+管理費等 -円)
坪単価:約5,195円/坪
敷560万円礼154万円(2ヶ月)仲77万円
|
|---|---|
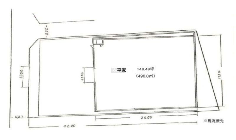
| 専有面積 | 490m² (148.22坪) |
| 住所 | 大阪府摂津市鳥飼下 (詳細非公開) |
| 交通 | 南摂津駅(徒歩25分) |
| 階/階建 | 1階 / 1階建 |
| 築年月 | 築34年(1991年3月) |
| 駐車場 |
あり
|
【WEB面談可】
空室確認、見学、詳細を知りたい方はこちら!
お電話の際は「連合隊の物件」とお伝えください。
情報掲載期限:あと25日(更新日 2026/1/23)
- 物件写真・概要
- 周辺地図
-
【WEB面談可】
空室確認、見学、詳細を知りたい方はこちら!おすすめポイント
- 駐車場あり
- 平屋
交通
- 南摂津駅大阪モノレール線徒歩25分(約2km)
物件概要
所在階/建物の階建 1階 / 地上1階建 主要採光面 構造 鉄骨造 間取り 契約期間 権利金 住宅保険 出店推奨業種 出店不可業種 水商売、アミューズメント、飲食全般 土地面積 992m² (300.08坪)引渡し 相談 管理人 取引態様 仲介 物件No 493246 設備・特徴 - 平屋
備考 要望があれば建築や改装のプロの内装相談までワンストップで可能です。※司法書士(見積もり無料)※工務店(請負契約完了までは一切費用がかかりません。)※火災保険(音響機器やレジまで幅広く提案)※オンライン重要事項説明(来店が必要なく、夜でも在宅で契約処理が完了できます。) ※空室でお困りの貸主様すぐに広告打ちますのでご応募お待ちしております。 -
ホームページはこちら兵庫県知事 (2) 第11981号
(株)ReYZ 【WEB面談可】- 加入団体
- (一社)兵庫県宅地建物取引業協会
- 保証協会
- (公社)全国宅地建物取引業保証協会
- 公正取引協議会
- (公社)近畿地区不動産公正取引協議会
※連合隊は物件情報の精度向上に努めています:「物件情報に誤りがある」「成約済みである」などお気付きの点がございましたらこちらよりご連絡ください。
写真枚数:4枚