メディカルプライム新越谷2F
ここに注目!2駅利用できる場所にあり、行き先に合わせて使い分けができます。敷金不要なので、初期費用削減につながります。賃貸契約の際の初期費用としてかかるはずの敷金・礼金が不要です。
| 賃料・費用 |
76万9,840円
(+管理費等 -円)
坪単価:約2.0万円/坪
敷なし礼なし仲76万9,840円
保証金:419万9,130円
|
|---|---|
| 専有面積 | 125.05m² (37.82坪) |
| 住所 |
埼玉県越谷市南越谷4丁目11
(詳細な所在地は不動産会社にお問合せください) |
| 交通 | 新越谷駅(徒歩2分) |
| 階/階建 | 2階 / 7階建 |
| 築年月 | 築1年(2024年5月) |
| 駐車場 |
空室確認、見学、詳細を知りたい方はこちら!
お電話の際は「連合隊の物件」とお伝えください。
情報掲載期限:あと29日(更新日 2026/3/27)
- 物件写真・概要
- 周辺地図
-
空室確認、見学、詳細を知りたい方はこちら!
おすすめポイント
- 駅徒歩3分以内
- 複数路線利用可
- 敷金・礼金0円
交通
- 新越谷駅JR武蔵野線、東武伊勢崎線駅近!徒歩2分
物件概要
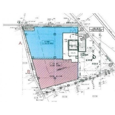
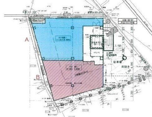
所在階/建物の階建 2階(A区画) / 地上7階建 主要採光面 構造 鉄骨鉄筋コンクリート(SRC)造 間取り 契約期間 20年間 権利金 住宅保険 出店推奨業種 出店不可業種 引渡し 相談 管理人 取引態様 仲介 物件No 設備・特徴 - 複数路線利用可
備考 店舗 -
愛知県知事 (3) 第21933号
店舗ステーション名古屋 (株)お部屋ステーション- 加入団体
- (公社)愛知県宅地建物取引業協会
- 保証協会
- (公社)不動産保証協会
※連合隊は物件情報の精度向上に努めています:「物件情報に誤りがある」「成約済みである」などお気付きの点がございましたらこちらよりご連絡ください。
写真枚数:2枚
こちら、外観パースです
名古屋のテナント探しなら『店舗ステーション名古屋店』へ 店舗・事務所・オフィス物件はお任せ下さい!
テナント物件は一点もの! 気になる物件を見つけたら、お気軽にお問い合わせ下さい♪☺ #名古屋 #店舗 #テナント #事務所 #オフィス #居抜き #事業用 #店舗ステーション #お部屋ステーション